Křečkov
(Cena je včetně provize a právního servisu.)
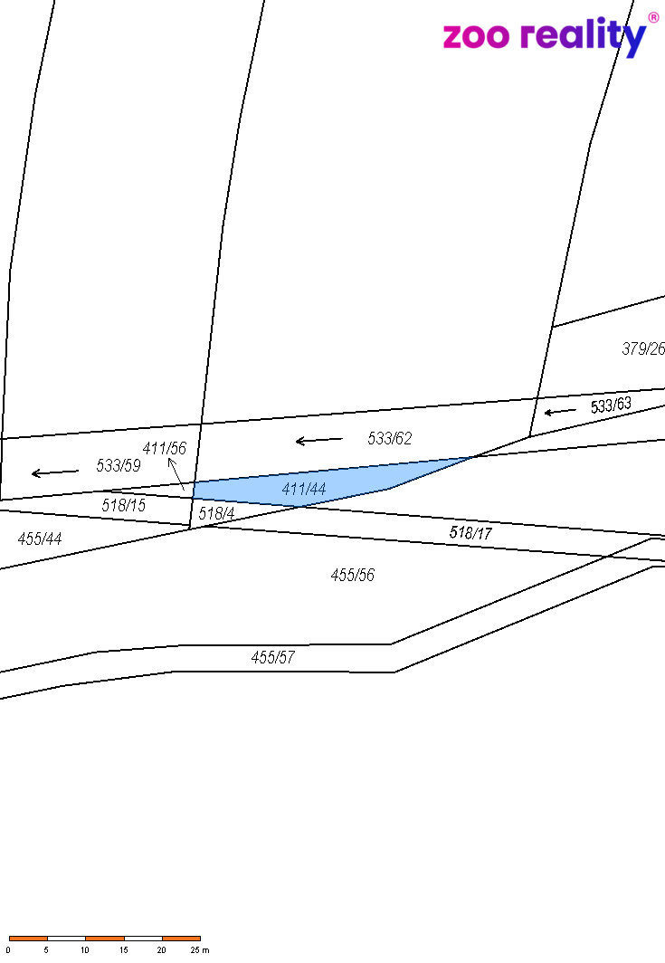
Nabízíme k prodeji pozemek v atraktivní lokalitě části obce Křečkov, okres Nymburk. Tento pozemek o celkové ploše 51 997 m² je klasifikován jako pole, což poskytuje široké možnosti využití pro zemědělské aktivity nebo jiné projekty spojené s přírodním prostředím.
Jedná se o tyto parcely:
parc. č. 200/5– orná půda
parc. č. 214 – orná půda
parc. č. 361 – orná půda
parc. č. 379/41 – orná půda
parc. č. 411/44 – orná půda
parc. č. 518/4 – ostatní plocha
parc. č. 533/36 – vodní plocha
parc. č. 533/62 - vodní plocha
V současné době je na pozemku zřízená smlouva o zemědělském pachtu, která bude přecházet na nového majitele.
Celkově lze pozemek hodnotit jako výjimečnou investiční příležitost v lokalitě se silným potenciálem. V případě zájmu nás neváhejte kontaktovat.
Máte zájem o tento pozemek?
Inzerát si prohlédlo 1 lidí
 
                                Dana Trunečková
Chcete dostávat emailem podobné nabídky prodeje polí v Křečkově?