Prodej zahrady, Česká Třebová, 3011 m2 (ID: 2568863)

Česká Třebová

990 000 Kč /za nemovitost HYPOTÉKA od 4 425 Kč /za měsíc
Doporučené firmy v České Třebové

Informace k pozemku

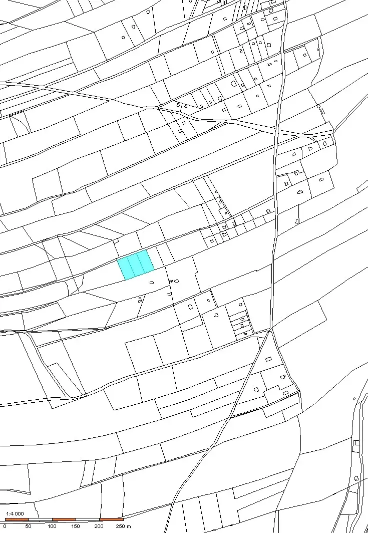
K prodeji tři samostatné parcely 3011 m2.
Parcelní číslo - p.č. 944/9, o výměře 1004 m2, druh pozemku zahrada. Parcelní číslo - p.č. 944/10, o výměře 1004 m2, druh pozemku zahrada. Parcelní číslo - p.č. 944/11, o výměře 1004 m2, druh pozemku zahrada. A to vše se nachází v katastrálním území Česká Třebová, obec Česká Třebová, okres Ústí nad Orlicí a je zapsáno u Katastrálního úřadu pro Pardubický kraj, Katastrální pracoviště Ústí nad Orlicí na LV č. 1672.

Parametry pozemku

Cena
990 000 Kč /za nemovitost Spočítat hypotéku
Aktualizováno
9. 3. 2026
Adresa
Česká Třebová
ID
N1339
Plocha pozemku
3011 m2

Kontaktovat makléře

Máte zájem o tento pozemek?

Tímto, v souladu s nařízením Evropského parlamentu a Rady (EU) 2016/679, v platném znění, prohlašuji, že mi je alespoň 16 let a uděluji tak svůj souhlas se zpracováním zadaných údajů (jméno, telefon, e-mail, ip adresa) společnosti B3 Technology, s.r.o., IČ: 07330600, se sídlem Novostavby 126/23, 435 11 Lom (správce dat), za účelem předání dotazu z tohoto formuláře Vámi vybranému inzerentovi a zpětného kontaktování mé osoby. Osobní údaje bude správce zpracovávat manuálně i automaticky přímo prostřednictvím svých zaměstnanců. Informace předané tímto formulářem budou uloženy v databázi správce maximálně po dobu 10 let. Odvolání souhlasu s uložením a zpracováním poskytnutých dat lze e-mailem na info@bydlisnami.cz. V případě podezření na neoprávněné použití Vámi poskytnutých údajů máte právo předat podnět k šetření Úřadu pro ochranu osobních údajů. Více informací
Chystáte se prodat nemovitost?
Pomůžeme Vám!

Inzerát si prohlédlo 0 lidí

Prodejce

Jan Babák

Jan Babák

Hlídací pes

Chcete dostávat emailem podobné nabídky prodeje zahrad v České Třebové?

Podobné nemovitosti