Prodej zahrady, Znojmo, Pražská zahr. C, 1985 m2 (ID: 2577353)

Pražská zahr. C, Znojmo

3 350 000 Kč /za nemovitost HYPOTÉKA od 14 972 Kč /za měsíc

(zastavěná plocha 52 m2, včetně DPH, včetně poplatků, včetně provize, včetně právního servisu)

Doporučené firmy v Znojmu

Informace k pozemku

Nabízíme vám jedinečnou příležitost vlastnit krásný pozemek o rozloze 1985 m², v klidné lokalitě Pražská zahrady C ve Znojmě. Tímto atraktivním pozemkem je zahrada s rekreační chatou o zastavěné ploše mimořádných 52 m², která je ideální pro stavbu rodinného domu.
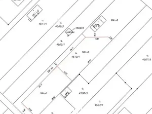
Dle katastrální mapy je pozemek rozdělen na 4 části, a to dvě parcely o rozloze 509 m², jedna o rozloze 656 m² a parcela 311 m², by případně sloužila jako společná cesta ke všem jmenovaným parcelám. Tím je pozemek vhodný i pro stavbu dalších 2 rekreačních chat k pronájmu nebo dalšímu prodeji.
Zahrada je plně oplocená, vede k ní pohodlná příjezdová cesta a disponuje elektrickými přípojkami, voda je zde celoroční.
Okolí je obklopeno přírodou a poskytuje ideální podmínky pro relaxaci a odpočinek. Do budoucna se v blízkosti plánuje revitalizace údolí Lesky. Projekt přinese moderní a důstojné zázemí pro pěší, cyklisty, sportovce i rodiny s dětmi. Chybět nebudou klidná zákoutí pro milovníky přírody ani revitalizace rybníka Hnědka.
Díky skvělé dostupnosti do centra města a blízkosti veškeré občanské vybavenosti je tato lokalita skvělou volbou pro vaše nové bydlení, jak celoroční, tak sezónní.
Pro bližší informace a termíny prohlídek nás neváhejte kontaktovat!

Parametry pozemku

Cena
3 350 000 Kč /za nemovitost Spočítat hypotéku
Poznámka k ceně
zastavěná plocha 52 m2, včetně DPH, včetně poplatků, včetně provize, včetně právního servisu
Aktualizováno
18. 3. 2026
Adresa
Pražská zahr. C, Znojmo
ID
00889
Plocha pozemku
1985 m2
Elektřina
230V
Doprava
Silnice, Autobus
Voda
Vodovod

Kontaktovat makléře

Máte zájem o tento pozemek?

Tímto, v souladu s nařízením Evropského parlamentu a Rady (EU) 2016/679, v platném znění, prohlašuji, že mi je alespoň 16 let a uděluji tak svůj souhlas se zpracováním zadaných údajů (jméno, telefon, e-mail, ip adresa) společnosti B3 Technology, s.r.o., IČ: 07330600, se sídlem Novostavby 126/23, 435 11 Lom (správce dat), za účelem předání dotazu z tohoto formuláře Vámi vybranému inzerentovi a zpětného kontaktování mé osoby. Osobní údaje bude správce zpracovávat manuálně i automaticky přímo prostřednictvím svých zaměstnanců. Informace předané tímto formulářem budou uloženy v databázi správce maximálně po dobu 10 let. Odvolání souhlasu s uložením a zpracováním poskytnutých dat lze e-mailem na info@bydlisnami.cz. V případě podezření na neoprávněné použití Vámi poskytnutých údajů máte právo předat podnět k šetření Úřadu pro ochranu osobních údajů. Více informací
Chystáte se prodat nemovitost?
Pomůžeme Vám!

Inzerát si prohlédlo 3 lidí

Prodejce

Kateřina Sapíková

Kateřina Sapíková

Hlídací pes

Chcete dostávat emailem podobné nabídky prodeje zahrad v Znojmu?

Podobné nemovitosti