Dražba lesa, Stehlovice, 11078 m2 (ID: 2600323)

Stehlovice

151 000 Kč /za nemovitost Získejte výhodnou HYPOTÉKU
Doporučené firmy v Stehlovicích

Výkup a prodej starého nábytku

Informace k pozemku

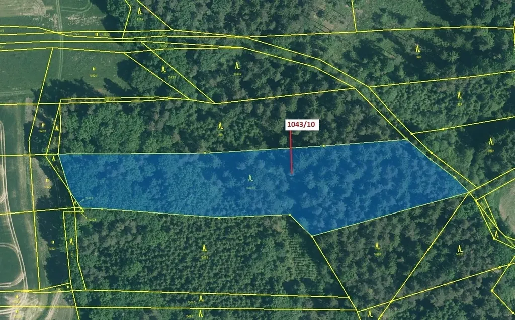
Lesní pozemek o výměře 11 078 m2, parcelní číslo 1043/10, podíl 1/1, katastrální území Strážkovice, obec Strážkovice, obec s rozšířenou působností České Budějovice, okres České Budějovice, Jihočeský kraj. Částečně po těžbě.

Parametry pozemku

Cena
151 000 Kč /za nemovitost
Aktualizováno
9. 4. 2026
Adresa
Stehlovice
ID
1956 D 003252 / 25 - 6
Plocha pozemku
11078 m2

Kontaktovat makléře

Máte zájem o tento pozemek?

Tímto, v souladu s nařízením Evropského parlamentu a Rady (EU) 2016/679, v platném znění, prohlašuji, že mi je alespoň 16 let a uděluji tak svůj souhlas se zpracováním zadaných údajů (jméno, telefon, e-mail, ip adresa) společnosti B3 Technology, s.r.o., IČ: 07330600, se sídlem Novostavby 126/23, 435 11 Lom (správce dat), za účelem předání dotazu z tohoto formuláře Vámi vybranému inzerentovi a zpětného kontaktování mé osoby. Osobní údaje bude správce zpracovávat manuálně i automaticky přímo prostřednictvím svých zaměstnanců. Informace předané tímto formulářem budou uloženy v databázi správce maximálně po dobu 10 let. Odvolání souhlasu s uložením a zpracováním poskytnutých dat lze e-mailem na info@bydlisnami.cz. V případě podezření na neoprávněné použití Vámi poskytnutých údajů máte právo předat podnět k šetření Úřadu pro ochranu osobních údajů. Více informací
Chystáte se prodat nemovitost?
Pomůžeme Vám!

Inzerát si prohlédlo 1 lidí

Prodejce

Štěpánka Kodymová

Štěpánka Kodymová

Hlídací pes

Chcete dostávat emailem podobné nabídky dražby lesů v Stehlovicích?

Podobné nemovitosti