Prodej pole, Vlkov, 16385 m2

Vlkov

760 500 Kč /za nemovitost HYPOTÉKA od 3 399 Kč /za měsíc

(provizi hradí kupující)

Doporučené firmy v Vlkově

Informace k pozemku

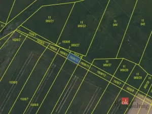
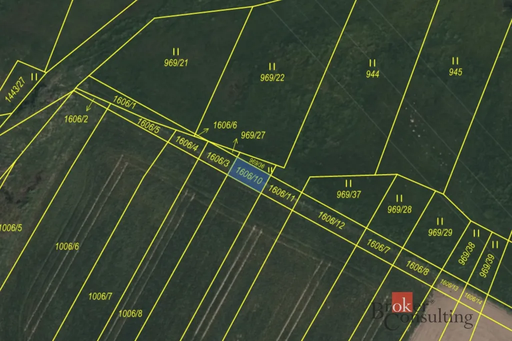
Prodej souboru zemědělských pozemků – k.ú. Vlkov u Osové Bítýšky, okres Žďár nad Sázavou.

Nabízíme k prodeji soubor pozemků v katastrálním území Vlkov u Osové Bítýšky, obec Vlkov, okres Žďár nad Sázavou. Pozemky jsou vedeny převážně jako orná půda a trvalý travní porost, částečně jako ostatní plocha a komunikace, a jsou součástí zemědělského půdního fondu.

Přehled jednotlivých parcel:
parc. č. 308/4 – 4 909 m²
parc. č. 409/2 – 1 250 m²
parc. č. 969/36 – 18 m²
parc. č. 1006/9 – 2 379 m²
parc. č. 1006/27 – 391 m²
parc. č. 1109/25 – 3 799 m²
parc. č. 1405 – 1 273 m²
parc. č. 1407 – 2 252 m²
parc. č. 1606/10 – 42 m²
parc. č. 1607/10 – 72 m²

Celková výměra pozemků činí: 16 385 m²

Pozemky jsou vhodné zejména pro zemědělské využití nebo jako dlouhodobá investice. Na nemovitostech neváznou žádná věcná práva ani omezení vlastnického práva, vyjma pachtovní smlouvy.

Kupní cena: 700 000 Kč + provize realitní kanceláře

Pro více informací či sjednání prohlídky nás neváhejte kontaktovat.

Parametry pozemku

Cena
760 500 Kč /za nemovitost Spočítat hypotéku
Poznámka k ceně
provizi hradí kupující
Aktualizováno
13. 4. 2026
Adresa
Vlkov
ID
84075
Vlastnictví
Osobní
Plocha pozemku
16385 m2

Kontaktovat makléře

Realitní kancelář

Logo Broker Consulting, a.s.

Broker Consulting, a.s.

Jiráskovo náměstí 2684/2, Plzeň

Chystáte se prodat nemovitost?
Pomůžeme Vám!

Máte zájem o tento pozemek?

Tímto, v souladu s nařízením Evropského parlamentu a Rady (EU) 2016/679, v platném znění, prohlašuji, že mi je alespoň 16 let a uděluji tak svůj souhlas se zpracováním zadaných údajů (jméno, telefon, e-mail, ip adresa) společnosti B3 Technology, s.r.o., IČ: 07330600, se sídlem Novostavby 126/23, 435 11 Lom (správce dat), za účelem předání dotazu z tohoto formuláře Vámi vybranému inzerentovi a zpětného kontaktování mé osoby. Osobní údaje bude správce zpracovávat manuálně i automaticky přímo prostřednictvím svých zaměstnanců. Informace předané tímto formulářem budou uloženy v databázi správce maximálně po dobu 10 let. Odvolání souhlasu s uložením a zpracováním poskytnutých dat lze e-mailem na info@bydlisnami.cz. V případě podezření na neoprávněné použití Vámi poskytnutých údajů máte právo předat podnět k šetření Úřadu pro ochranu osobních údajů. Více informací
Chystáte se prodat nemovitost?
Pomůžeme Vám!

Inzerát si prohlédlo 0 lidí

Hlídací pes

Chcete dostávat emailem podobné nabídky prodeje polí v Vlkově (okr. Žďár nad Sázavou)?

Podobné nemovitosti