Prodej pozemku pro bydlení, Přerov, 1064 m2

Penčice

2 690 Kč /za metr čtvereční HYPOTÉKA od 12 Kč /za měsíc

(Více informací u makléře)

Doporučené firmy v Přerově

Informace k pozemku

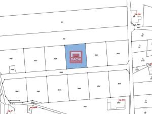
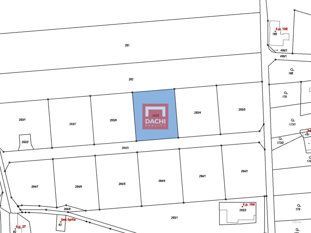
Nabízíme k prodeji stavební pozemek pro bydlení, parcelní č. 263/5, Penčice, část statutárního města Přerova. Výměra stavebního pozemku 1064 m2. Tento pozemek, se nachází v klidné lokalitě v katastrálním území Penčice. Tato lokalita je ideální pro ty, kteří chtějí žít v prostředí obklopeném přírodou a soukromím. Je vhodný pro stavbu rodinného domu, který bude poskytovat dostatek prostoru pro pohodlné bydlení.
Okolní zástavba bude tvořena převážně rodinnými domy a tuto část města charakterizuje klid a bezpečnost. Navíc probíhá rozsáhlý proces zasíťování této oblasti, což zahrnuje výstavbu vodovodu, kanalizace, elektrického a telekomunikačního zásobování, a výstavbu finální cesty, chodníků, osvětlení a výsadbu. Detaily a lhůty těchto staveb vám rádi upřesníme na osobní schůzce.
Penčice samy o sobě jsou malebnou vesnicí, která je součástí statutárního města Přerova, a nachází se pouhých 7 km severně od centra města. Díky silnici II/436 je snadný přístup do okolního regionu.
Pokud máte zájem o prohlídku tohoto pozemku, neváhejte nás kontaktovat pro další informace a prohlídku.

Parametry pozemku

Cena
2 690 Kč /za metr čtvereční Spočítat hypotéku
Poznámka k ceně
Více informací u makléře
Aktualizováno
14. 11. 2025
Adresa
Penčice
ID
18959
Plocha pozemku
1064 m2
Odpad
Veřejná kanalizace
Bezbarierový přístup

Kontaktovat makléře

Máte zájem o tento pozemek?

Tímto, v souladu s nařízením Evropského parlamentu a Rady (EU) 2016/679, v platném znění, prohlašuji, že mi je alespoň 16 let a uděluji tak svůj souhlas se zpracováním zadaných údajů (jméno, telefon, e-mail, ip adresa) společnosti B3 Technology, s.r.o., IČ: 07330600, se sídlem Novostavby 126/23, 435 11 Lom (správce dat), za účelem předání dotazu z tohoto formuláře Vámi vybranému inzerentovi a zpětného kontaktování mé osoby. Osobní údaje bude správce zpracovávat manuálně i automaticky přímo prostřednictvím svých zaměstnanců. Informace předané tímto formulářem budou uloženy v databázi správce maximálně po dobu 10 let. Odvolání souhlasu s uložením a zpracováním poskytnutých dat lze e-mailem na info@bydlisnami.cz. V případě podezření na neoprávněné použití Vámi poskytnutých údajů máte právo předat podnět k šetření Úřadu pro ochranu osobních údajů. Více informací
Chystáte se prodat nemovitost?
Pomůžeme Vám!

Inzerát si prohlédlo 19 lidí

Prodejce

Lenka Kvapilová

Lenka Kvapilová

Hlídací pes

Chcete dostávat emailem podobné nabídky prodeje pozemků pro bydlení v Přerově?

Podobné nemovitosti