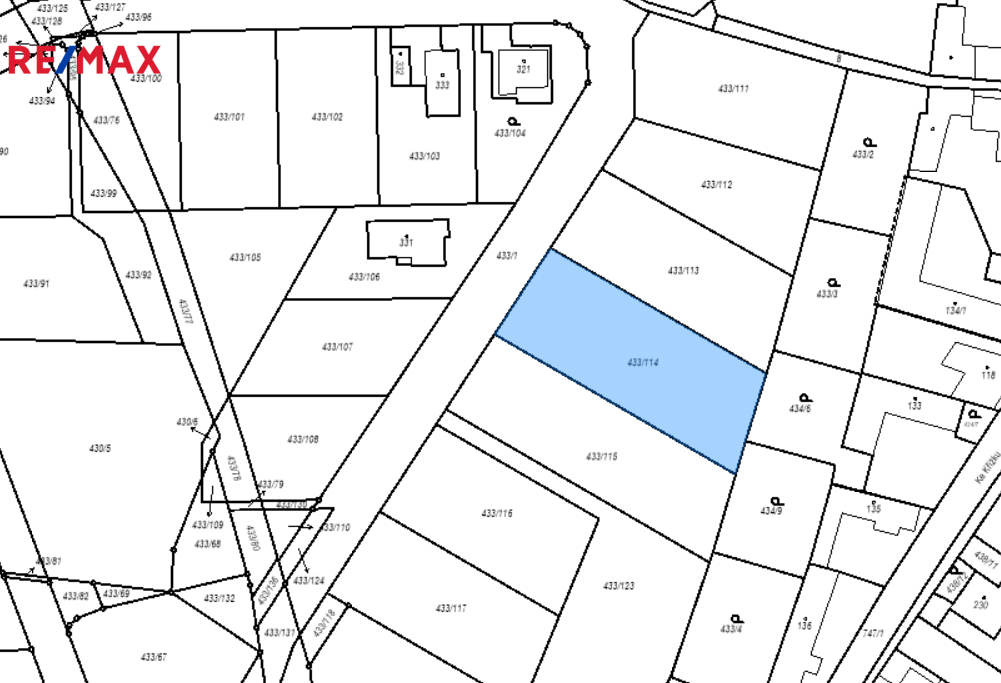
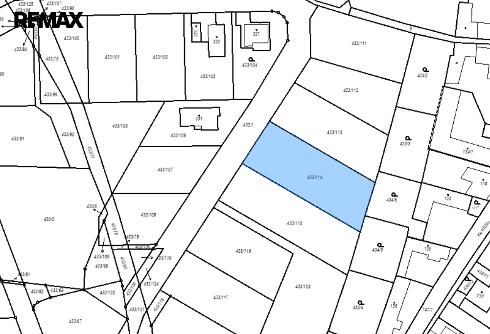
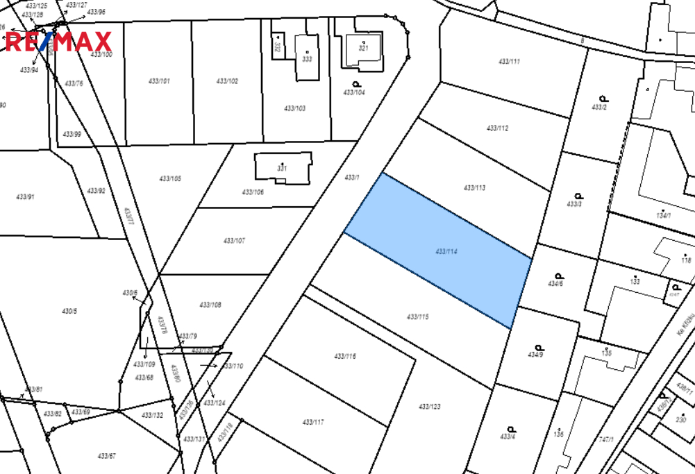
Prodej pozemku pro bydlení, Písek, 1361 m2

Písek, Semice u Písku

5 430 000 Kč /za nemovitost HYPOTÉKA od 24 269 Kč /za měsíc
Doporučené firmy v Písku

Výkup a prodej starého nábytku

Pojištění a finance

Informace k pozemku

Exkluzivně nabízíme k prodeji lukrativní a velkorysý stavební pozemek o výměře 1361m2 v Písku - Semicích.
Nachází se v těsné blízkosti přírodního parku Písecké hory, přesto pouze cca 1 km od města. Nově jsou Semice propojeny s Pískem cyklostezkou. A Písek má nové dálniční spojení s Prahou.
Kompletně zasíťovaný pozemek s vyřešenou komunikací. Možno začít ihned stavět.

Parametry pozemku

Cena
5 430 000 Kč /za nemovitost Spočítat hypotéku
Aktualizováno
11. 4. 2026
Adresa
Písek, Semice u Písku
ID
261-NP00868
Lokalita objektu
Klidná část obce
Plocha pozemku
1361 m2
Převod do OV

Kontaktovat makléře

Realitní kancelář

RE/MAX Optimal

třída Národní svobody 181/26, Písek

Chystáte se prodat nemovitost?
Pomůžeme Vám!

Máte zájem o tento pozemek?

Tímto, v souladu s nařízením Evropského parlamentu a Rady (EU) 2016/679, v platném znění, prohlašuji, že mi je alespoň 16 let a uděluji tak svůj souhlas se zpracováním zadaných údajů (jméno, telefon, e-mail, ip adresa) společnosti B3 Technology, s.r.o., IČ: 07330600, se sídlem Novostavby 126/23, 435 11 Lom (správce dat), za účelem předání dotazu z tohoto formuláře Vámi vybranému inzerentovi a zpětného kontaktování mé osoby. Osobní údaje bude správce zpracovávat manuálně i automaticky přímo prostřednictvím svých zaměstnanců. Informace předané tímto formulářem budou uloženy v databázi správce maximálně po dobu 10 let. Odvolání souhlasu s uložením a zpracováním poskytnutých dat lze e-mailem na info@bydlisnami.cz. V případě podezření na neoprávněné použití Vámi poskytnutých údajů máte právo předat podnět k šetření Úřadu pro ochranu osobních údajů. Více informací
Chystáte se prodat nemovitost?
Pomůžeme Vám!
Theleadway banner

Inzerát si prohlédlo 22 lidí

Prodejce

Václav Vachta

Václav Vachta

Hlídací pes

Chcete dostávat emailem podobné nabídky prodeje pozemků pro bydlení v Písku?

Podobné nemovitosti