Prodej pozemku pro bydlení, Chlum u Třeboně, 1155 m2

Chlum u Třeboně

Cena na vyžádání /za metr čtvereční Získejte výhodnou HYPOTÉKU

(Cena k jednání.)

Doporučené firmy v Chlumu u Třeboně

Výkup a prodej starého nábytku

Pojištění a finance

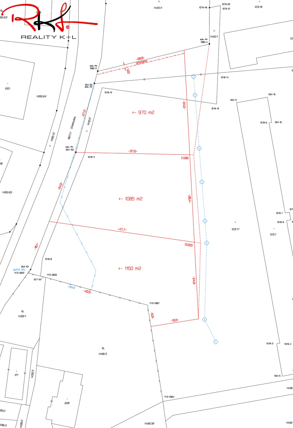
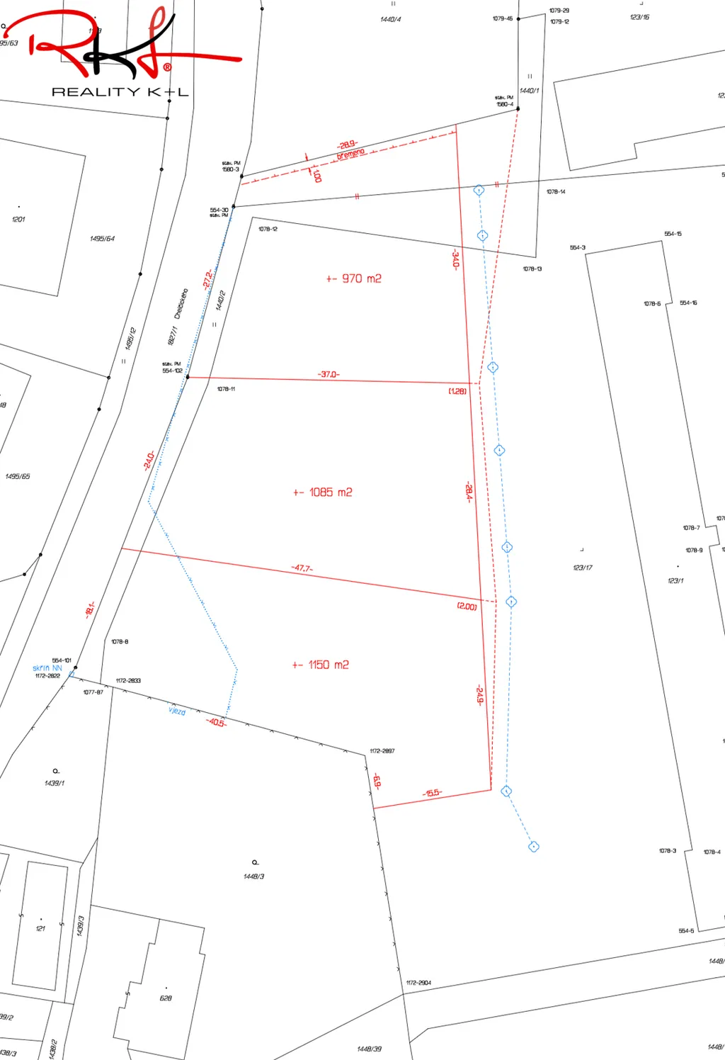
Informace k pozemku

Nabízíme k prodeji investiční pozemek občanského vybavení v klidné části obce Chlum u Třeboně, okres Jindřichův Hradec. Tento pozemek o rozloze 1155 m² představuje skvělou příležitost pro výstavbu apartmánů, hotelu či penzionu. Pozemek je napojen na kanalizaci, elektřinu a plynovod, což zajišťuje veškerou potřebnou infrastrukturu pro budoucí využití. V této lokalitě se nyní připravují k prodeji další dva komerční pozemky.

Díky své poloze v blízkosti Třeboně a okolních rekreačních oblastí nabízí tento pozemek také velký komeční potenciál. Investoři ocení strategickou polohu a snadnou dostupnost k místním turistickým atrakcím a cyklostezkám.

V případě zájmu o prohlídku nás neváhejte kontaktovat.

Parametry pozemku

Cena
Cena na vyžádání Spočítat hypotéku
Poznámka k ceně
Cena k jednání.
Aktualizováno
30. 4. 2026
Adresa
Chlum u Třeboně
ID
2129
Lokalita objektu
Klidná část obce
Plocha pozemku
1155 m2
Plyn
Plynovod
Odpad
Veřejná kanalizace
Převod do OV

Kontaktovat makléře

Realitní kancelář

Logo REALITY K+L

REALITY K+L

třída T. G. Masaryka 989, Roudnice nad Labem

Chystáte se prodat nemovitost?
Pomůžeme Vám!

Máte zájem o tento pozemek?

Tímto, v souladu s nařízením Evropského parlamentu a Rady (EU) 2016/679, v platném znění, prohlašuji, že mi je alespoň 16 let a uděluji tak svůj souhlas se zpracováním zadaných údajů (jméno, telefon, e-mail, ip adresa) společnosti B3 Technology, s.r.o., IČ: 07330600, se sídlem Novostavby 126/23, 435 11 Lom (správce dat), za účelem předání dotazu z tohoto formuláře Vámi vybranému inzerentovi a zpětného kontaktování mé osoby. Osobní údaje bude správce zpracovávat manuálně i automaticky přímo prostřednictvím svých zaměstnanců. Informace předané tímto formulářem budou uloženy v databázi správce maximálně po dobu 10 let. Odvolání souhlasu s uložením a zpracováním poskytnutých dat lze e-mailem na info@bydlisnami.cz. V případě podezření na neoprávněné použití Vámi poskytnutých údajů máte právo předat podnět k šetření Úřadu pro ochranu osobních údajů. Více informací
Chystáte se prodat nemovitost?
Pomůžeme Vám!
Theleadway banner

Inzerát si prohlédlo 15 lidí

Prodejce

Kryštof Hrala

Kryštof Hrala

Hlídací pes

Chcete dostávat emailem podobné nabídky prodeje pozemků pro bydlení v Chlumu u Třeboně?