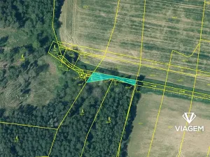
Prodej lesa, Hromnice, 615 m2 (ID: 2456124)

Hromnice, Kostelec

10 769 Kč /za nemovitost HYPOTÉKA od 48 Kč /za měsíc
Doporučené firmy v Hromnici

Podlahy

Stěhovací služby

Informace k pozemku

Hledáte svůj vlastní les? Chcete mít 100% vlastnictví bez spoluvlastníků? To znamená, že se můžete těšit na plnou kontrolu nad svým majetkem. Nabízíme Vám jedinečné pozemky v okrese Plzeň-sever, konkrétně v katastrálním území Kostelec u Nadryb.

Nabízíme Vám následující pozemky v katastrálním územím Kostelec u Nadryb:
parc. č. 96/23 - výměra 8 m2
parc. č. 109/18 - výměra 1 m2
parc. č. 192/19 - výměra 212 m2
parc. č. 378/3 - výměra 1 m2
parc. č. 406/42 - výměra 103 m2
parc. č. 406/43 - výměra 4 m2
parc. č. 429/3 - výměra 286 m2

Zajišťujeme rychlý prodej - připravíme kupní smlouvy a v případě zájmu Vám zajistíme ostatní právní služby. Zaručíme Vám jednoduchý a transparentní prodej. V případě zájmu nebo dotazů nás neváhejte kontaktovat na níže uvedeném telefonním čísle nebo e-mailu.

Tento inzerát není závaznou nabídkou inzerenta, podmínky prodeje se mohou v jeho průběhu měnit.

Parametry pozemku

Cena
10 769 Kč /za nemovitost Spočítat hypotéku
Aktualizováno
26. 10. 2025
Adresa
Hromnice, Kostelec
ID
9994
Plocha pozemku
615 m2

Kontaktovat makléře

Máte zájem o tento pozemek?

Tímto, v souladu s nařízením Evropského parlamentu a Rady (EU) 2016/679, v platném znění, prohlašuji, že mi je alespoň 16 let a uděluji tak svůj souhlas se zpracováním zadaných údajů (jméno, telefon, e-mail, ip adresa) společnosti B3 Technology, s.r.o., IČ: 07330600, se sídlem Novostavby 126/23, 435 11 Lom (správce dat), za účelem předání dotazu z tohoto formuláře Vámi vybranému inzerentovi a zpětného kontaktování mé osoby. Osobní údaje bude správce zpracovávat manuálně i automaticky přímo prostřednictvím svých zaměstnanců. Informace předané tímto formulářem budou uloženy v databázi správce maximálně po dobu 10 let. Odvolání souhlasu s uložením a zpracováním poskytnutých dat lze e-mailem na info@bydlisnami.cz. V případě podezření na neoprávněné použití Vámi poskytnutých údajů máte právo předat podnět k šetření Úřadu pro ochranu osobních údajů. Více informací
Chystáte se prodat nemovitost?
Pomůžeme Vám!

Inzerát si prohlédlo 1 lidí

Prodejce

Jakub Kubišta

Jakub Kubišta

Hlídací pes

Chcete dostávat emailem podobné nabídky prodeje lesů v Hromnici?

Podobné nemovitosti