Prodej rodinného domu, Tis u Blatna, 100 m2

Tis u Blatna

Rezervováno
2 600 000 Kč /za nemovitost HYPOTÉKA od 11 620 Kč /za měsíc

(Včetně provize RK a veškerých služeb)

Doporučené firmy v Tisu u Blatna

Stěhovací služby

Informace k domu

Nabízíme Vám k prodeji větší rodinný dům v malebné vesničce Tis u Blatna. Samotná obec se nachází v malebném, mírně zalesněném prostředí v severní části okresu Plzeň-sever, 13 km východně od Žlutic. V obci žije zhruba stálých70 obyvatel. Jedná se o místo s kompletními službami. V obci funguje obecní úřad, pošta, obchod.
Do obce je pravidelná autobusová doprava
Tis u Blatna je zasazen do krásné přírody. Lokalita je vyhledávaná pro klid, žádné rušivé vlivy, dobré sousedské vztahy .
Houbaření, turistika, cykloturistika, příjemné procházky do krásného okolí se známými místy Rabštejn nad Střelou, zámek Chyše, Manětín.
Nepříjemností se múže jevit blízkost kamenolomu jehož činnost poněkud zatěžuje tuto krásnou lokalitu. Toto je však na zvážení každého zájemce
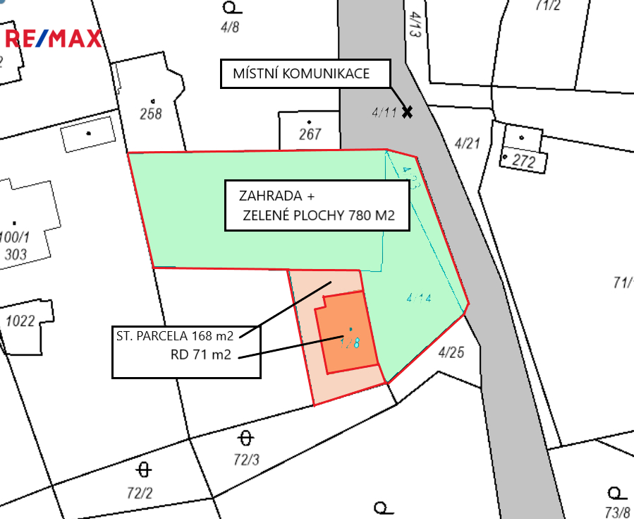
RD je patrová stavba o výměře 71 m2 na stavební parcele 165 m2.
Základy jsou betonové, na střeše je položena pálená taška.
V přízemí je kuchyň, pokoj a pracovní prostor ze kterého lze snadno lze vybudovat další pokoj. Dále WC , koupelna, 2 komomory V patře pak 2 pokoje, další dvě komory půda Z jednoho pokoje vstup na balkon

Dům je v dobrém technickém stavu.
Vytápění : lokální na tuhá paliva
Voda – vrtaná studna - z ní je rozvod vody do domu. Obec nemá vodovod. Na zahradě ještě kopaná studna, používaná pro zalévání zahrady.

Elektřina : El rozvody ( 220/380 V )
Odpady – septik
Dům je podsklepen

Pozemky: stavební parcela 165 m2.
Detailnější náhled dispozic domu spolu s rozměry a rozmístění staveb na pozemku naleznete na přiloženém půdorysu.

Do Rakovníka 40 km, Podbořan 24 km, Jesenice 15.

Pokud hledáte pro Vás a vaši rodinu dům pro trvalé bydlení nebo třeba jen chalupu v příjemném prostředí a očekáváte dobré sousedské vztahy lokalitu s minimálním provozem, jste sportovně založení a procházky lesem, přírodou či houbaření jsou pro Vás radostí, tato nabídka Vás zcela jistě nadchne.

Pro bližší informace a případné sjednání osobní prohlídky této unikátní nemovitosti mě neváhejte kdykoli kontaktovat.

Parametry domu

Stav
Rezervováno
Cena
2 600 000 Kč /za nemovitost Spočítat hypotéku
Poznámka k ceně
Včetně provize RK a veškerých služeb
Aktualizováno
8. 3. 2026
Adresa
Tis u Blatna
ID
185-NP02408
Stavba
Smíšená
Stav objektu
Dobrý
Vybaveno
Částečně
Typ objektu
Patrový
Druh objektu
Samostatný
Lokalita objektu
Klidná část obce
Užitná plocha
100 m2
Zastavěná plocha
71 m2
Podlahová plocha
948 m2
Plocha pozemku
165 m2
Plocha zahrady
783 m2
Třída energetické náročnosti
G - Mimořádně nehospodárná
Elektřina
230V, 400V
Odpad
Septik
Doprava
Silnice, Autobus
Voda
Studna
Garáž
Sklep
Převod do OV

Kontaktovat makléře

Máte zájem o tento dům?

Tímto, v souladu s nařízením Evropského parlamentu a Rady (EU) 2016/679, v platném znění, prohlašuji, že mi je alespoň 16 let a uděluji tak svůj souhlas se zpracováním zadaných údajů (jméno, telefon, e-mail, ip adresa) společnosti B3 Technology, s.r.o., IČ: 07330600, se sídlem Novostavby 126/23, 435 11 Lom (správce dat), za účelem předání dotazu z tohoto formuláře Vámi vybranému inzerentovi a zpětného kontaktování mé osoby. Osobní údaje bude správce zpracovávat manuálně i automaticky přímo prostřednictvím svých zaměstnanců. Informace předané tímto formulářem budou uloženy v databázi správce maximálně po dobu 10 let. Odvolání souhlasu s uložením a zpracováním poskytnutých dat lze e-mailem na info@bydlisnami.cz. V případě podezření na neoprávněné použití Vámi poskytnutých údajů máte právo předat podnět k šetření Úřadu pro ochranu osobních údajů. Více informací
Chystáte se prodat nemovitost?
Pomůžeme Vám!

Inzerát si prohlédlo 20 lidí

Prodejce

Bohumil Kotvald

Bohumil Kotvald

Hlídací pes

Chcete dostávat emailem podobné nabídky prodeje rodinných domů v Tisu u Blatna?

Top nabídky

Podobné nemovitosti