Prodej pozemku pro bydlení, Hanušovice, 3222 m2 (ID: 2465773)

Hanušovice

2 849 000 Kč /za nemovitost HYPOTÉKA od 12 733 Kč /za měsíc
Doporučené firmy v Hanušovicích

Pojištění a finance

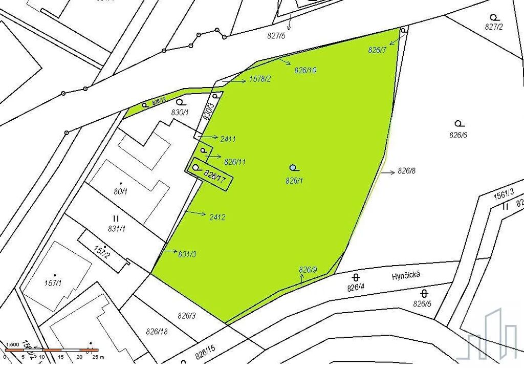
Informace k pozemku

Nabízím ke koupi pozemky, o celkové výměře 3.222 m2, je určen k výstavbě rodinných domů, v obci Hanušovice, okres Šumperk. Vhodné k výstavbě tří až čtyř rodinných domů, pozemek možno rozdělit. Nachází se v ulici na konci obytné zástavby směrem na Jeseník.
V dosahu veškeré inženýrské sítě. Pozemek je umístěn na pěkném a dobře dostupném místě částečně kolem železniční trati. V územním plánu chváleno k zástavbě jako plocha smíšená venkovská, je v blízkosti řeky Branné, avšak mimo záplavovou zónu. Vhodné pro investora, na rozdělení jednotlivých parcel, nebo pro ty, kteří chtějí hospodářství, které je možno rozšířit o další plochu ve vlastnictví obce a není ji možno využít stavebně. Vhodný je také pro ty, kteří nechtějí mít spoustu sousedů. Výborná dopravní dostupnost a v samotné obci je umístěna veškerá občanská vybavenost. Ve vzdálenosti do 20 km jsou turistická střediska Kouty, Ramzová, Dolní Morava Paprsek, Kunčice, Stříbrnice a v neposlední řadě Lázně Velké Losiny, vyhlášené termální lázně.

Parametry pozemku

Cena
2 849 000 Kč /za nemovitost Spočítat hypotéku
Aktualizováno
5. 11. 2025
Adresa
Hanušovice
ID
142/5000
Plocha pozemku
3222 m2
Doprava
Vlak, Silnice, Autobus

Kontaktovat makléře

Realitní kancelář

VOYTA Reality

Mrázova 845/9, Litoměřice

Chystáte se prodat nemovitost?
Pomůžeme Vám!

Máte zájem o tento pozemek?

Tímto, v souladu s nařízením Evropského parlamentu a Rady (EU) 2016/679, v platném znění, prohlašuji, že mi je alespoň 16 let a uděluji tak svůj souhlas se zpracováním zadaných údajů (jméno, telefon, e-mail, ip adresa) společnosti B3 Technology, s.r.o., IČ: 07330600, se sídlem Novostavby 126/23, 435 11 Lom (správce dat), za účelem předání dotazu z tohoto formuláře Vámi vybranému inzerentovi a zpětného kontaktování mé osoby. Osobní údaje bude správce zpracovávat manuálně i automaticky přímo prostřednictvím svých zaměstnanců. Informace předané tímto formulářem budou uloženy v databázi správce maximálně po dobu 10 let. Odvolání souhlasu s uložením a zpracováním poskytnutých dat lze e-mailem na info@bydlisnami.cz. V případě podezření na neoprávněné použití Vámi poskytnutých údajů máte právo předat podnět k šetření Úřadu pro ochranu osobních údajů. Více informací
Chystáte se prodat nemovitost?
Pomůžeme Vám!
Theleadway banner

Inzerát si prohlédlo 26 lidí

Prodejce

Antonín Soukup

Antonín Soukup

Hlídací pes

Chcete dostávat emailem podobné nabídky prodeje pozemků pro bydlení v Hanušovicích?

Podobné nemovitosti