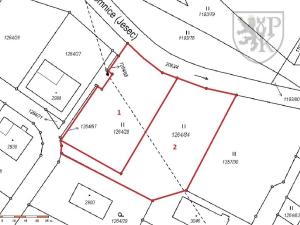
Prodej pozemku pro bydlení, Strunkovice nad Volyňkou, 698 m2

Strunkovice nad Volyňkou

Cena na vyžádání /za nemovitost Získejte výhodnou HYPOTÉKU

(cena u makléře)

Doporučené firmy v Strunkovicích nad Volyňkou

Informace k pozemku

Nabízíme k prodeji pozemek, který je dle ÚP určen k výstavbě rodinného domu. Pozemek má výměru 698 m², nachází se na okraji obce Strunkovice nad Volyňkou. Strunkovice jsou vzdáleny cca 8 km od Strakonic, kde naleznete veškerou občanskou vybavenost. Zdroj vody je možno využít studnu zajištěnou věcným břemenem odběru vody, která je na hranici pozemku. Likvidace odpadních vod prostřednictvím ČOV s možností napojení do zásaku.

Dle územního plánu pozemek spadá do plochy Bydlení. Podmínky využití:
Hlavní využití (převažující účel využití)
- bydlení
Přípustné využití
- bydlení – zejména formou rodinných domů či zemědělských usedlostí s možností odpovídajícího zázemí a s možností chovu zvířat pro vlastní potřebu – samozásobitelství
- občanské vybavení slučitelné s bydlením:
- veřejného charakteru – patřící do veřejné infrastruktury
- komerčního charakteru – drobná podnikatelská činnost (např. kadeřnictví, květinářství, opravna obuvi, manikúra, rehabilitační služby, kanceláře a další administrativní činnosti, hostinská činnost, stravování a ubytování doplňující bydlení) o tělovýchova a sport bez vlastního zázemí (např. dětská hřiště, víceúčelová hřiště)
- veřejná prostranství
- zeleň – např. veřejná, izolační, zahrady, sady
- vodní útvary
- dopravní a technická infrastruktura obecního významu
Podmíněně přípustné využití
- nerušící výroba a služby, např. truhlárny, tesařské dílny, klempířství, zámečnictví, kovářství, pneuservisy, autoopravny, autoservisy, sklenářství za podmínky, že nesníží kvalitu prostředí a pohodu bydlení
- zemědělství - chov zvířat, skladování produktů živočišné výroby, příprava a skladování krmiv a steliva, dále též skladování a posklizňová úprava produktů rostlinné výroby apod. za podmínky, že nesníží kvalitu prostředí a pohodu bydlení
- obchodní činnosti do velikosti 200 m2 prodejní plochy
Nepřípustné využití
- bydlení formou bytového domu
- rekreace včetně staveb pro rodinnou rekreaci
- ubytování včetně hotelů, motelů, ostatních ubytovacích zařízení mimo přípustné
- obchodní činnost zejména stavby pro obchod, které překročí místní význam zejména obsahující celkovou prodejní plochu větší než 200 m2 (například velkoprodejny, nákupní střediska, obchodní domy) mimo přípustné a podmíněně přípustné
- každé využití, které by bylo v rozporu s hlavním využitím plochy nebo by mohlo narušit pohodu bydlení a kvalitní prostředí pro bydlení anebo toto narušení vyvolávat, zejména:
- výroba a skladování včetně staveb pro výrobu a skladování mimo uvedených jako přípustné, popř. podmíněně přípustné
- farmové a zájmové chovy
Podmínky prostorového uspořádání
Nové stavební záměry musí zohlednit výškovou hladinu okolní zástavby a nesmí vytvářet výraznou pohledovou dominantu v území. Při rekonstrukci stávajících budov je možno zachovat jejich výškovou hladinu. Doporučujeme přizpůsobení architektuře budov zařazených
jako hodnoty.

Pokud vás nabídka zaujala, kontaktujte makléře. S financováním vám mohou pomoci naši finanční specialisté.

Parametry pozemku

Cena
Cena na vyžádání Spočítat hypotéku
Poznámka k ceně
cena u makléře
Aktualizováno
18. 11. 2025
Adresa
Strunkovice nad Volyňkou
ID
0943
Lokalita objektu
Okraj obce
Plocha pozemku
698 m2
Komunikace
Asfaltová, Zpevněná
Doprava
Vlak, Silnice, Autobus

Kontaktovat makléře

Máte zájem o tento pozemek?

Tímto, v souladu s nařízením Evropského parlamentu a Rady (EU) 2016/679, v platném znění, prohlašuji, že mi je alespoň 16 let a uděluji tak svůj souhlas se zpracováním zadaných údajů (jméno, telefon, e-mail, ip adresa) společnosti B3 Technology, s.r.o., IČ: 07330600, se sídlem Novostavby 126/23, 435 11 Lom (správce dat), za účelem předání dotazu z tohoto formuláře Vámi vybranému inzerentovi a zpětného kontaktování mé osoby. Osobní údaje bude správce zpracovávat manuálně i automaticky přímo prostřednictvím svých zaměstnanců. Informace předané tímto formulářem budou uloženy v databázi správce maximálně po dobu 10 let. Odvolání souhlasu s uložením a zpracováním poskytnutých dat lze e-mailem na info@bydlisnami.cz. V případě podezření na neoprávněné použití Vámi poskytnutých údajů máte právo předat podnět k šetření Úřadu pro ochranu osobních údajů. Více informací
Chystáte se prodat nemovitost?
Pomůžeme Vám!

Inzerát si prohlédlo 3 lidí

Prodejce

Pavel Kučerák

Pavel Kučerák

Hlídací pes

Chcete dostávat emailem podobné nabídky prodeje pozemků pro bydlení v Strunkovicích nad Volyňkou?

Podobné nemovitosti