Prodej pozemku pro bydlení, Adamov, Na werku, 846 m2 (ID: 2530549)

Na werku, Adamov

3 990 000 Kč /za nemovitost HYPOTÉKA od 17 833 Kč /za měsíc
Doporučené firmy v Adamově

Výkup a prodej starého nábytku

Informace k pozemku

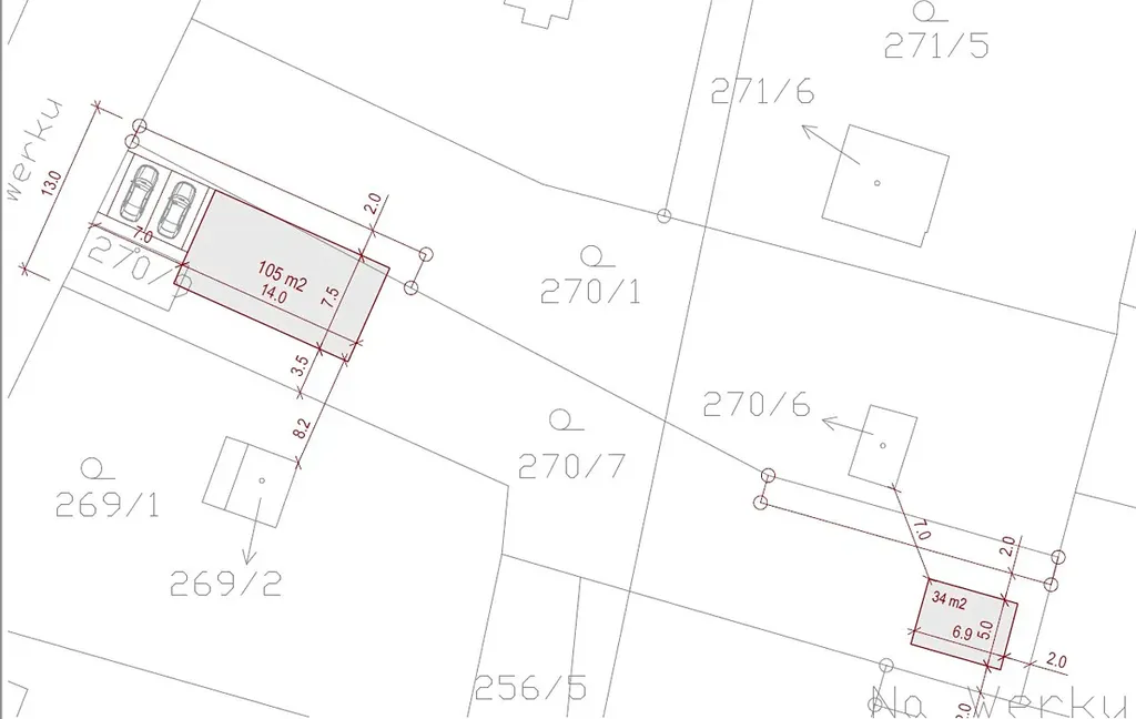
Nabízíme Vám pozemek o výměře 847 m2 v klidné, neprůjezdné ulici Na Werku v Adamově u Českých Budějovic. Pozemek je platným územním plánem určený pro výstavbu rodinného domu jako plocha smíšená obytná.
Na pozemku je možné umístit stavbu rodinného domu o zastavěné ploše až 105 m2 a až dvou podlažích s obytným podkrovím + vedlejší stavba 34 m2, podle přiložené architektonické studie. Současná hranice pozemku je upravena geometrickým plánem podle přiloženého plánu.
Voda, kanalizace a elektřina jsou na hranici pozemku, plyn je v dosahu. Na pozemku se nachází zděná garáž o zastavěné ploše 28 m2.
Vzdálenost od centra Českých Budějovic je 7,5 km, zastávka MHD je vzdálená 400 m.
Pokud hledáte klidné místo pro stavbu Vašeho rodinného domu, neváhejte a kontaktujte nás!

Parametry pozemku

Cena
3 990 000 Kč /za nemovitost Spočítat hypotéku
Aktualizováno
26. 1. 2026
Adresa
Na werku, Adamov
Lokalita objektu
Okraj obce
Plocha pozemku
846 m2
Elektřina
230V, 400V
Plyn
Plynovod
Odpad
Veřejná kanalizace
Komunikace
Asfaltová
Doprava
Dálnice, Silnice, MHD, Autobus
Voda
Vodovod

Kontaktovat makléře

Realitní kancelář

Logo REALITNÍ KANCELÁŘ ŽÁČEK

REALITNÍ KANCELÁŘ ŽÁČEK

Hradební 476/9a, České Budějovice

Chystáte se prodat nemovitost?
Pomůžeme Vám!

Máte zájem o tento pozemek?

Tímto, v souladu s nařízením Evropského parlamentu a Rady (EU) 2016/679, v platném znění, prohlašuji, že mi je alespoň 16 let a uděluji tak svůj souhlas se zpracováním zadaných údajů (jméno, telefon, e-mail, ip adresa) společnosti B3 Technology, s.r.o., IČ: 07330600, se sídlem Novostavby 126/23, 435 11 Lom (správce dat), za účelem předání dotazu z tohoto formuláře Vámi vybranému inzerentovi a zpětného kontaktování mé osoby. Osobní údaje bude správce zpracovávat manuálně i automaticky přímo prostřednictvím svých zaměstnanců. Informace předané tímto formulářem budou uloženy v databázi správce maximálně po dobu 10 let. Odvolání souhlasu s uložením a zpracováním poskytnutých dat lze e-mailem na info@bydlisnami.cz. V případě podezření na neoprávněné použití Vámi poskytnutých údajů máte právo předat podnět k šetření Úřadu pro ochranu osobních údajů. Více informací
Chystáte se prodat nemovitost?
Pomůžeme Vám!

Inzerát si prohlédlo 12 lidí

Prodejce

Dalibor Žáček

Dalibor Žáček

Hlídací pes

Chcete dostávat emailem podobné nabídky prodeje pozemků pro bydlení v Adamově (okr. České Budějovice)?

Podobné nemovitosti