Prodej pozemku pro bydlení, Sadská, 1267 m2 (ID: 2538667)

Sadská

1 050 000 Kč /za nemovitost HYPOTÉKA od 4 693 Kč /za měsíc
Doporučené firmy v Sadské

Informace k pozemku

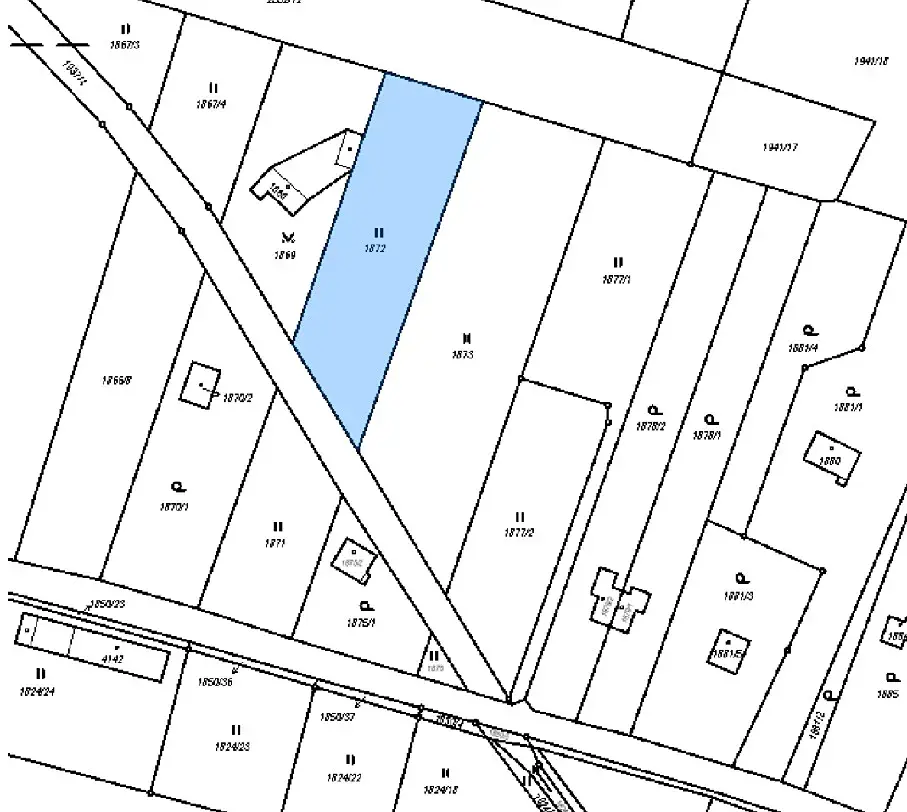
Územním plánem je nabízený pozemek zařazen k využití jako RI - tedy rekreace individuální. Pozemek se nachází v žádané lokalitě mezi Sadskou, Hradišťkem a Kerskem. Příjezd slušnou asfaltovou cestou z Hradišťka jedná se o osadu která je nyní z velké části obydlená trvale, čile se zde staví. Rovinatý pozemek, lemovaný okolní zahradou. Jednu hranici pozemku tvoří pole a druhou strouha ( téměř bez vody). Pozemek nyní s přístupem přes sousední parcelu, nebo podél strouhy ( Sousední pozemek zastavěný chatou to má stejně.
Skvělá cena zohledňující současný stav, zejména stav příjezdu a přístupu, tento však není neřešitelný a tudíž se jedná o skvělou investiční příležitost.
Naše kancelář Vám zajistí pronájem, nebo prodej Vaší nemovitosti solventním zájemcům za skvělých podmínek pro Vás, proto nás prosím neváhejte kontaktovat.

Parametry pozemku

Cena
1 050 000 Kč /za nemovitost Spočítat hypotéku
Aktualizováno
4. 2. 2026
Adresa
Sadská
Plocha pozemku
1267 m2

Kontaktovat makléře

Realitní kancelář

KP reality

Vodičkova 791/41, Praha, Nové Město

Chystáte se prodat nemovitost?
Pomůžeme Vám!

Máte zájem o tento pozemek?

Tímto, v souladu s nařízením Evropského parlamentu a Rady (EU) 2016/679, v platném znění, prohlašuji, že mi je alespoň 16 let a uděluji tak svůj souhlas se zpracováním zadaných údajů (jméno, telefon, e-mail, ip adresa) společnosti B3 Technology, s.r.o., IČ: 07330600, se sídlem Novostavby 126/23, 435 11 Lom (správce dat), za účelem předání dotazu z tohoto formuláře Vámi vybranému inzerentovi a zpětného kontaktování mé osoby. Osobní údaje bude správce zpracovávat manuálně i automaticky přímo prostřednictvím svých zaměstnanců. Informace předané tímto formulářem budou uloženy v databázi správce maximálně po dobu 10 let. Odvolání souhlasu s uložením a zpracováním poskytnutých dat lze e-mailem na info@bydlisnami.cz. V případě podezření na neoprávněné použití Vámi poskytnutých údajů máte právo předat podnět k šetření Úřadu pro ochranu osobních údajů. Více informací
Chystáte se prodat nemovitost?
Pomůžeme Vám!

Inzerát si prohlédlo 12 lidí

Prodejce

Vilém Přibyl

Vilém Přibyl

Hlídací pes

Chcete dostávat emailem podobné nabídky prodeje pozemků pro bydlení v Sadské?

Podobné nemovitosti