Prodej louky, Tanvald, 2920 m2

Tanvald

474 300 Kč /za nemovitost HYPOTÉKA od 2 120 Kč /za měsíc
Doporučené firmy v Tanvaldě

Rekonstrukce

Úklidové služby

Informace k pozemku

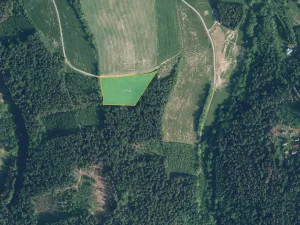
Exkluzivně nabízíme do výlučného vlastnictví zajímavé pozemky v k.ú Šumburk nad Desnou, okres Jablonec nad Nisou. Jedná se o parcely č. 1506, 1768/20, 1770/2, 1778/35 o celkové výměře 2920 m2, zapsané na LV 2204. Na pozemcích je uzavřena nájemní smlouva. Na pozemcích je uzavřena pachtovní smlouva na dobu neurčitou s výpovědní lhůtou 1 rok, roční pachtovné 3.500 Kč/ha + náhrada daně. Podle územního plánu se jedná o stabilizovanou plochu zemědělskou, na katastru jsou pozemky vedeny jako trvalý travní porost a ostatní plocha.

Prohlídky nejsou naplánované, ale můžete se kdykoli podívat na pozemky sami. Níže přikládám GPS souřadnice na střed pozemků. Pro více informací ohledně této zajímavé investice neváhejte kontaktovat našeho makléře telefonicky nebo e-mailem.

parc. č . 1506: 50°44'05.63"N, 15°20'34.01"E
parc. č. 1768/20: 50°44'13.01"N, 15°20'19.08"E
parc. č. 1770/2: 50°44'13.12"N, 15°20'20.50"E
parc. č. 1778/35: 50°44'12.84"N, 15°20'16.05"E

Parametry pozemku

Cena
474 300 Kč /za nemovitost Spočítat hypotéku
Aktualizováno
19. 2. 2026
Adresa
Tanvald
ID
0681
Lokalita objektu
Polosamota
Plocha pozemku
2920 m2

Kontaktovat makléře

Máte zájem o tento pozemek?

Tímto, v souladu s nařízením Evropského parlamentu a Rady (EU) 2016/679, v platném znění, prohlašuji, že mi je alespoň 16 let a uděluji tak svůj souhlas se zpracováním zadaných údajů (jméno, telefon, e-mail, ip adresa) společnosti B3 Technology, s.r.o., IČ: 07330600, se sídlem Novostavby 126/23, 435 11 Lom (správce dat), za účelem předání dotazu z tohoto formuláře Vámi vybranému inzerentovi a zpětného kontaktování mé osoby. Osobní údaje bude správce zpracovávat manuálně i automaticky přímo prostřednictvím svých zaměstnanců. Informace předané tímto formulářem budou uloženy v databázi správce maximálně po dobu 10 let. Odvolání souhlasu s uložením a zpracováním poskytnutých dat lze e-mailem na info@bydlisnami.cz. V případě podezření na neoprávněné použití Vámi poskytnutých údajů máte právo předat podnět k šetření Úřadu pro ochranu osobních údajů. Více informací
Chystáte se prodat nemovitost?
Pomůžeme Vám!

Inzerát si prohlédlo 0 lidí

Prodejce

Dana Kopková

Dana Kopková

Hlídací pes

Chcete dostávat emailem podobné nabídky prodeje louk v Tanvaldě?

Podobné nemovitosti