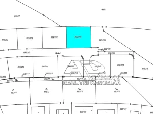
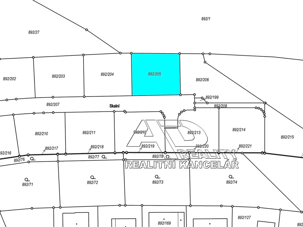
Prodej pozemku pro bydlení, Srubec, 550 m2 (ID: 2561067)

Srubec

10 150 Kč /za metr čtvereční HYPOTÉKA od 45 Kč /za měsíc

((v případě více zájemců prodej nejvyšší nabídce) všech uvedených nebo i jednotlivých pozemků.)

Doporučené firmy v Srubci

Výkup a prodej starého nábytku

Informace k pozemku

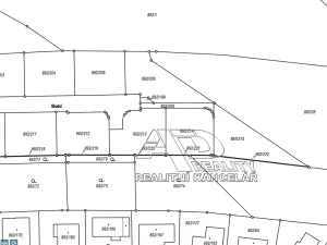
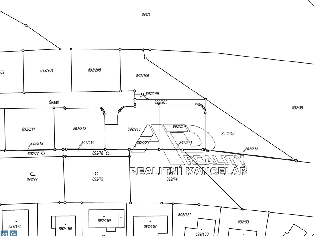
Ve výhradním zastoupení majitele Vám nabízíme k prodeji 3 exklusivní pozemky: (parcela 892/205) o výměře 550m2, parcela 892/206 o výměře 618m2 a parcela 892/215 o výměře 613m2 v dokončené a zkolaudované lokalitě ZTV Dobrovodská II, které se nacházejí v obytné zóně obce Srubec nedaleko Českých Budějovic. Možnost prodeje jednotlivých pozemků jako celek či samostatně. Pozemky jsou umístěny v nově vzniklé Skalní ulici s panoramatickým výhledem na České Budějovice a okolí. Pozemky jsou územním plánem určeny k zástavbě samostatně stojícím rodinným domem, dvojdomkem i k výstavbě řadových domů (objekt(y) k bydlení), a to za podmínky dodržení všech regulativ daných územním plánem obce Srubec (kompletní aktualizované změní k dispozici). Pozemky jsou vhodné jak pro individuální výstavbu, tak i investiční výstavbu (možnost odečtu DPH z pozemku). Pro investiční výstavbu nabízíme možnost souběžné koupě i dalších navazujících pozemků na tyto pozemky (vzájemně sousedních) s totožnou nebo podobnou výměrou. V případě dohody je možnost prodeje i více pozemků na tomto ZTV.
Stavebně se jedná o obdélníkový pozemek o rozměru cca [22m] x [25m], o trojúhelníkový pozemek o rozměru cca 47m x 26m o rozměru 43m x 26m. Pozemky přiléhají jižní a západní stranou k asfaltové příjezdové komunikaci, kde jdou v pilíři a šachtě ukončeny jednotlivé inženýrské sítě. Směrem na ČB je pak otevřený severozápadní pohled. Pozemky jsou umístěny v zadní části ZTV, a to na samém konci budoucí zástavby. Celá plocha pozemků je vedena v územním plánu Srubec jako plocha zastavitelná, nejsou oploceny a v terénu vyznačeny jen z části. Terén je mírně svažitý od komunikace směrem na sever ke městu.
Územní plán povoluje výstavbu samostatně stojícího RD, řadových domů či dvojdomu, maximálně dvě nadzemní podlaží, přízemí + obytné podkroví, a zastavit lze maximálně 35% pozemku, t.j. běžně do 190m2 do 220m2. Všechny IS jsou řádně zkolaudované, včetně asfaltové komunikace a vjezdů.
Občanská vybavenost: v místě je veřejná doprava (zastávka dálkového BUS cca 250m, MHD 250m jak na Srubci tak na Dobré Vodě), devítiletá základní škola a mateřské školy přímo v obci Srubec, v katastru obce Srubec je též pošta, obchod s potravinami a spotřebním zbožím, dále nově otevřený další multifunkční market LIDL, na návsi se nachází srubecká hospůdka a multifunkční dětské hřiště s mnoha herními i pohybovými prvky. V neposlední řadě je zde velké fotbalové hřiště s veškerou další sportovní vybaveností nejen pro tento fotbal. K dispozici jsou zde i tři obecní rybníky pro malé i velké rybáře a v obci je i další sportovní a relaxační vyžití. Též se zde nachází plno spolků, oddílů a dalších zájmových skupin. Veškerá docházková vzdálenost do těchto míst není větší než 500m. Kompletní občanská vybavenost je k dispozici v ČB, které jsou od Srubce vzdáleny cca 3 km. V neposlední řadě je nově otevřen obchvat Českých Budějovic, na který najede občan Srubce téměř okamžitě při výjezdu z obce, a který nejen podstatně zrychlil a zprůjezdnil pohyb aut ze Srubce do ostatních míst, ale i podstatně přispěl k bezpečnosti a plynulosti provozu v samotné obci. Tento obchvat je součástí dálnice D3 vedoucí z Prahy do Rakouska. V nejbližší době počítá obec s výstavbou multifunkčního kulturně společenského komplexu a nového zázemí pro místní dobrovolné hasiče a jejich vybavení. Lokalita Srubec je známa svým klidným prostřením s čistým vzduchem, která navazuje na krásnou přírodu s možností procházek, relaxace a aktivního odpočinku v místních lesích. Též je známa zdejší chráněnou přírodní lokalitou.

Inženýrské sítě: přípojky inženýrských sítí (elektrika + obecní vodovod + kanalizace + zemní plyn, + datové rozvody, připojení O2) jsou ukončeny na hranici pozemku (kaplička EL, revizní šachta kanalizace, vodovodní šachta vodovodu, uzavírací armatura zemního plynu), datové kabely, internet). Přístup je na pozemek z jižní strany z místní obslužné asfaltové komunikace, která přechází plynule do asfaltové komunikace samotného ZTV, jenž je jeho obsahem nejen veřejné osvětlení ale i odstavná parkovací stání.
Aktuální cena: 10.150,-Kč/m2 (v případě více zájemců prodej nejvyšší nabídce) všech uvedených nebo i jednotlivých pozemků. Prodávající si vždy vyhrazuje právo výběru budoucího kupujícího na základě jím zvolených kritérií, když veškeré údaje obsažené v tomto inzerátu mají pouze informativní charakter a nejsou tak ve smyslu občanského zákoníku: (I) návrhem na uzavření smlouvy dle §1731 a §1732; ani (II) veřejným příslibem dle § 733. Uveřejněním tohoto inzerátu nevzniká uživateli služby ani jakýmkoli třetím osobám nárok na uzavření kupní smlouvy, zejména se vylučuje aplikace §1732 odst. 2 občanského zákoníku.
Pro účely investiční výstavby (kupující s IČ a registrovaný plátce DPH) je možnost odpočtu DPH.
Nemovitost je nabízena výhradně realitní kanceláří AD-reality CB České Budějovice.

Parametry pozemku

Cena
10 150 Kč /za metr čtvereční Spočítat hypotéku
Poznámka k ceně
(v případě více zájemců prodej nejvyšší nabídce) všech uvedených nebo i jednotlivých pozemků.
Aktualizováno
1. 3. 2026
Adresa
Srubec
ID
AD-2742-2026
Lokalita objektu
Klidná část obce
Plocha pozemku
550 m2
Elektřina
230V
Plyn
Plynovod
Odpad
Veřejná kanalizace
Komunikace
Dlážděná, Asfaltová, Zpevněná
Telekomunikace
Internet, Kabelové rozvody
Doprava
Vlak, Dálnice, Silnice, MHD, Autobus
Voda
Vodovod

Kontaktovat makléře

Realitní kancelář

AD reality CB

Dr. Stejskala 108/7, České Budějovice

Chystáte se prodat nemovitost?
Pomůžeme Vám!

Máte zájem o tento pozemek?

Tímto, v souladu s nařízením Evropského parlamentu a Rady (EU) 2016/679, v platném znění, prohlašuji, že mi je alespoň 16 let a uděluji tak svůj souhlas se zpracováním zadaných údajů (jméno, telefon, e-mail, ip adresa) společnosti B3 Technology, s.r.o., IČ: 07330600, se sídlem Novostavby 126/23, 435 11 Lom (správce dat), za účelem předání dotazu z tohoto formuláře Vámi vybranému inzerentovi a zpětného kontaktování mé osoby. Osobní údaje bude správce zpracovávat manuálně i automaticky přímo prostřednictvím svých zaměstnanců. Informace předané tímto formulářem budou uloženy v databázi správce maximálně po dobu 10 let. Odvolání souhlasu s uložením a zpracováním poskytnutých dat lze e-mailem na info@bydlisnami.cz. V případě podezření na neoprávněné použití Vámi poskytnutých údajů máte právo předat podnět k šetření Úřadu pro ochranu osobních údajů. Více informací
Chystáte se prodat nemovitost?
Pomůžeme Vám!

Inzerát si prohlédlo 0 lidí

Prodejce

Jindřich DVOŘÁK, Dipl.Tech.

Jindřich DVOŘÁK, Dipl.Tech.

Hlídací pes

Chcete dostávat emailem podobné nabídky prodeje pozemků pro bydlení v Srubci?

Podobné nemovitosti