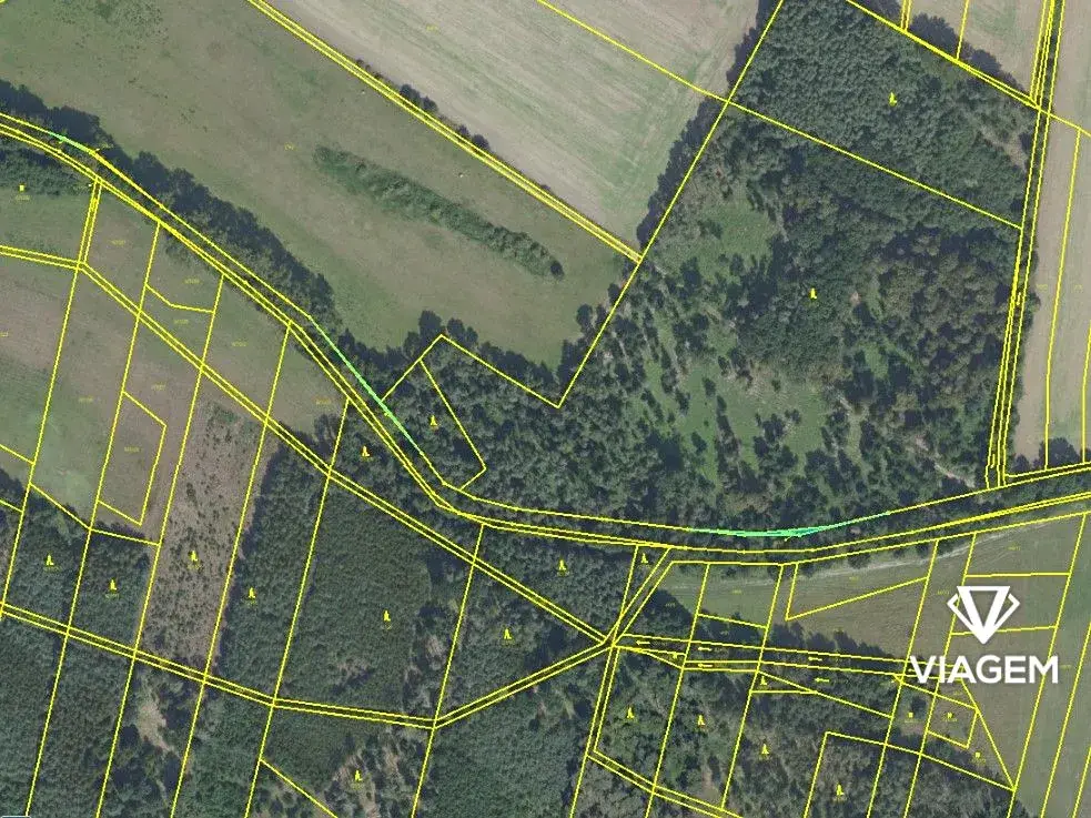
Prodej podílu lesa, Sokoleč, 1999 m2 (ID: 2598505)

Sokoleč

39 007 Kč /za nemovitost Získejte výhodnou HYPOTÉKU
Doporučené firmy v Sokolči

Informace k pozemku

Hledáte ideální pozemek pro investici nebo vlastní využití? Nabízíme vám jedinečné lesní pozemky v okrese Nymburk, konkrétně v katastrálním území Sokoleč. Nezmeškejte tuto příležitost!

Nabízíme Vám následující pozemky v katastrálním území Sokoleč:
parc. č. 621/152 - výměra 233 m2
parc. č. 621/254 - výměra 371 m2
parc. č. 621/170 - výměra 253 m2
parc. č. 621/255 - výměra 386 m2
parc. č. 623/3 - výměra 14 m2
parc. č. 623/4 - výměra 43 m2
parc. č. 623/5 - výměra 102 m2
parc. č. 456/1 - výměra 712 m2
parc. č. 621/171 - výměra 7 m2
parc. č. 621/212 - výměra 117 m2
parc. č. 623/1 - výměra 10 559 m2

Koupí podílu lesa získáte možnost neomezeného přístupu do lesa za zlomek ceny plného vlastnictví. Protože pozemek navazuje na vodní plochu, tak ho ocení především rybáři.

Zajišťujeme rychlý prodej - připravíme kupní smlouvy a v případě zájmu Vám zajistíme ostatní právní služby. Zaručíme Vám jednoduchý a transparentní prodej. V případě zájmu nebo dotazů nás neváhejte kontaktovat na níže uvedeném telefonním čísle nebo e-mailu.

Tento inzerát není závaznou nabídkou inzerenta, podmínky prodeje se mohou v jeho průběhu měnit.

Parametry pozemku

Cena
39 007 Kč /za nemovitost
Aktualizováno
8. 4. 2026
Adresa
Sokoleč
ID
12392
Plocha pozemku
1999 m2

Kontaktovat makléře

Máte zájem o tento pozemek?

Tímto, v souladu s nařízením Evropského parlamentu a Rady (EU) 2016/679, v platném znění, prohlašuji, že mi je alespoň 16 let a uděluji tak svůj souhlas se zpracováním zadaných údajů (jméno, telefon, e-mail, ip adresa) společnosti B3 Technology, s.r.o., IČ: 07330600, se sídlem Novostavby 126/23, 435 11 Lom (správce dat), za účelem předání dotazu z tohoto formuláře Vámi vybranému inzerentovi a zpětného kontaktování mé osoby. Osobní údaje bude správce zpracovávat manuálně i automaticky přímo prostřednictvím svých zaměstnanců. Informace předané tímto formulářem budou uloženy v databázi správce maximálně po dobu 10 let. Odvolání souhlasu s uložením a zpracováním poskytnutých dat lze e-mailem na info@bydlisnami.cz. V případě podezření na neoprávněné použití Vámi poskytnutých údajů máte právo předat podnět k šetření Úřadu pro ochranu osobních údajů. Více informací
Chystáte se prodat nemovitost?
Pomůžeme Vám!

Inzerát si prohlédlo 3 lidí

Prodejce

Jakub Fadl

Jakub Fadl

Hlídací pes

Chcete dostávat emailem podobné nabídky prodeje podílu lesů v Sokolči?

Podobné nemovitosti