Prodej bytu 3+1, Mělník, Kokořínská, 75 m2

Kokořínská, Mělník

Rezervováno
5 500 000 Kč /za nemovitost HYPOTÉKA od 24 582 Kč /za měsíc

(včetně provize, včetně právního servisu)

Doporučené firmy v Mělníku

Pojištění a finance

Informace k bytu

Popis nemovitosti

Představuji Vám k prodeji byt o dispozici 3+1 po částečné rekonstrukci v revitalizovaném cihlovém domě v klidné lokalitě v obci Mělník.

Byt informace:
- dispozice 3+1, 75 m2
- 2. patro
- orientace bytu – východ (2 pokoj), západ – 2 pokoje
- okna plastová
- k dispozici od 09/2026
- topení – vlastní elektrokotel v technické místnosti v přízemí
- plyn je v domě zaveden, v bytě se ale nepoužívá
- teplou vodu zajišťuje lokální zdroj – bojler – v komoře na chodbě u bytu
- elektřina původní
- kuchyňská linka
- sklep 12 m2
- lodžie 4 m2
- komora na chodbě 2 m2

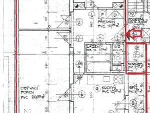
Byt disponuje prostornou předsíní, 3 pokoji, kuchyní a samostatnou komorou se vstupem z kuchyně, samostatným WC a koupelnou. K bytu náleží lodžie a sklepní jednotka, dále další samostatná komora se vstupem z chodby a garáž. Byt se nabízí vybavený kuchyňskou linkou, ostatní nábytek dle domluvy. Garáž je opatřena vraty na elektrické ovládání pro snadnou obsluhu.

Přibližné rozměry místností dle půdorysu:

obývací pokoj (20,52m2),
dětský pokoj (10,45m2),
ložnice (16,38m2),
samostatná kuchyně (10,35m2),
prostorná předsíň (10,05m2),
koupelna (3,06m2),
samostatné WC (cca 1m2),
spíž (3,57),
lodžie (4,04m2),
samostatná komora (2m2)

Dům informace:
Cihlový dům po kompletní revitalizaci.
Dům byl postaven v 80-tých letech a zkolaudován v roce 1990.
V každém vchodu domů č.p. 589 – 594 se nachází celkem 4 bytové jednotky. Každá bytová jednotka disponuje samostatnou komorou se vstupem z chodby na patře. Ostatní skladové prostory a garáže se nacházejí v přízemí.

Dům a tedy i byt je v družstevním vlastnictví. Jedná se o bytové družstvo ´Kokořínská 589 – 594´, které je vlastníkem domů č.p. 589 – 594. Vlastnictví vzniklo v roce 1999 na základě kupní smlouvy a od té doby funguje v nezměněné podobě. Členové družstva užívají příslušné prostory na základě nájemní smlouvy a do společné pokladny hradí poplatky cca 2.000,- Kč/měs. Náklady na bydlení jsou tedy velmi nízké.
Nájemní vztah určují Stanovy bytového družstva, které jsou k dispozici k nahlédnutí.

Lokalita:
Mělník je okresní město s 20 tisíci obyvateli, s bohatou historií i přítomností.
Zastávka MHD je přímo na hlavní ulici, tj. 100m od bytu. V dosahu je vlakové a autobusové nádraží a veškerá občanská vybavenost. V pěší vzdálenosti jsou nákupní možnosti, základní škola, a mnoho dalšího.

Pro koupi bytu Vám zajistím kompletní realitní a právní servis a v případě potřeby i výhodné financování.

V případě zájmu, prosím pište nebo volejte dle kontaktních údajů v inzerci. Byt vám ráda ukážu.

Těším se na viděnou.

Parametry bytu

Stav
Rezervováno
Cena
5 500 000 Kč /za nemovitost Spočítat hypotéku
Poznámka k ceně
včetně provize, včetně právního servisu
Aktualizováno
10. 5. 2026
Adresa
Kokořínská, Mělník
ID
00397
Stavba
Cihlová
Stav objektu
Velmi dobrý
Patro
3. z 3
Vybaveno
Částečně
Druh objektu
V bloku
Lokalita objektu
Klidná část obce
Vlastnictví
Družstevní
Užitná plocha
75 m2
Podlahová plocha
75 m2
Třída energetické náročnosti
G - Mimořádně nehospodárná
Odpad
Veřejná kanalizace
Topení
Ústřední elektrické
Doprava
Vlak, MHD
Voda
Vodovod
Balkon
Garáž
Sklep
Výtah
Převod do OV

Kontaktovat makléře

Realitní kancelář

Logo WOW Reality, s.r.o.

WOW Reality, s.r.o.

Tylova 473/27, Plzeň, Jižní Předměstí

Chystáte se prodat nemovitost?
Pomůžeme Vám!

Máte zájem o tento byt?

Tímto, v souladu s nařízením Evropského parlamentu a Rady (EU) 2016/679, v platném znění, prohlašuji, že mi je alespoň 16 let a uděluji tak svůj souhlas se zpracováním zadaných údajů (jméno, telefon, e-mail, ip adresa) společnosti B3 Technology, s.r.o., IČ: 07330600, se sídlem Novostavby 126/23, 435 11 Lom (správce dat), za účelem předání dotazu z tohoto formuláře Vámi vybranému inzerentovi a zpětného kontaktování mé osoby. Osobní údaje bude správce zpracovávat manuálně i automaticky přímo prostřednictvím svých zaměstnanců. Informace předané tímto formulářem budou uloženy v databázi správce maximálně po dobu 10 let. Odvolání souhlasu s uložením a zpracováním poskytnutých dat lze e-mailem na info@bydlisnami.cz. V případě podezření na neoprávněné použití Vámi poskytnutých údajů máte právo předat podnět k šetření Úřadu pro ochranu osobních údajů. Více informací
Chystáte se prodat nemovitost?
Pomůžeme Vám!
Theleadway banner

Inzerát si prohlédlo 5 lidí

Prodejce

Markéta Krausová

Markéta Krausová

Hlídací pes

Chcete dostávat emailem podobné nabídky prodeje bytů 3+1 v Mělníku?

Podobné nemovitosti