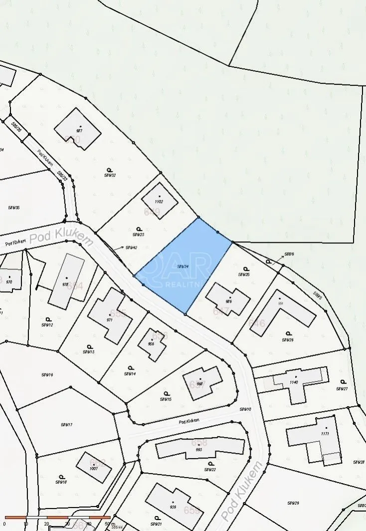
Prodej pozemku pro bydlení, Hýskov, 1037 m2 (ID: 2604795)

Hýskov

9 990 000 Kč /za nemovitost HYPOTÉKA od 44 649 Kč /za měsíc

(Cena včetně právního i realitního servisu.)

Doporučené firmy v Hýskově

Pojištění a finance

Informace k pozemku

Nabízíme k prodeji velmi pěkný stavební pozemek v žádané lokalitě v blízkosti města Beroun v obci Hýskov v ulici pod Klukem. Pozemek má ideální výměru a to 1037 m2.

Součástí prodeje předmětného pozemku je také vydané platné stavební povolení včetně kompletní projektové dokumentace na moderní rodinný dům.

Pozemek je kompletně oplocený ze všech stran, kompletně zasíťován v rozsahu elektrická přípojka, obecní vodovod, kanalizace a plyn, vše ukončena přímo na pozemku v pilířích.

Hýskov je obec v okrese Beroun ve Středočeském kraji, 4 km severozápadně od Berouna. Leží v údolí řeky Berounky, na jejím levém břehu, uprostřed lesnaté krajiny.

Nemovitost je možné financovat hypotéčním úvěrem.

V případě dotazů kontaktujte makléře

Parametry pozemku

Cena
9 990 000 Kč /za nemovitost Spočítat hypotéku
Poznámka k ceně
Cena včetně právního i realitního servisu.
Aktualizováno
19. 5. 2026
Adresa
Hýskov
ID
18176
Plocha pozemku
1037 m2
Elektřina
120V, 230V
Komunikace
Asfaltová
Doprava
Vlak, Silnice, Autobus
Voda
Vodovod
Bezbarierový přístup

Kontaktovat makléře

Realitní kancelář

Logo QARA, s.r.o.

QARA, s.r.o.

Šafaříkova 201/17, Praha

Chystáte se prodat nemovitost?
Pomůžeme Vám!

Máte zájem o tento pozemek?

Tímto, v souladu s nařízením Evropského parlamentu a Rady (EU) 2016/679, v platném znění, prohlašuji, že mi je alespoň 16 let a uděluji tak svůj souhlas se zpracováním zadaných údajů (jméno, telefon, e-mail, ip adresa) společnosti B3 Technology, s.r.o., IČ: 07330600, se sídlem Novostavby 126/23, 435 11 Lom (správce dat), za účelem předání dotazu z tohoto formuláře Vámi vybranému inzerentovi a zpětného kontaktování mé osoby. Osobní údaje bude správce zpracovávat manuálně i automaticky přímo prostřednictvím svých zaměstnanců. Informace předané tímto formulářem budou uloženy v databázi správce maximálně po dobu 10 let. Odvolání souhlasu s uložením a zpracováním poskytnutých dat lze e-mailem na info@bydlisnami.cz. V případě podezření na neoprávněné použití Vámi poskytnutých údajů máte právo předat podnět k šetření Úřadu pro ochranu osobních údajů. Více informací
Chystáte se prodat nemovitost?
Pomůžeme Vám!
Theleadway banner

Inzerát si prohlédlo 3 lidí

Prodejce

Jan Bečvář

Jan Bečvář

Hlídací pes

Chcete dostávat emailem podobné nabídky prodeje pozemků pro bydlení v Hýskově?

Podobné nemovitosti