Prodej lesa, Komárov, 745 m2

Komárov

16 390 Kč /za nemovitost HYPOTÉKA od 73 Kč /za měsíc
Doporučené firmy v Komárově

Informace k pozemku

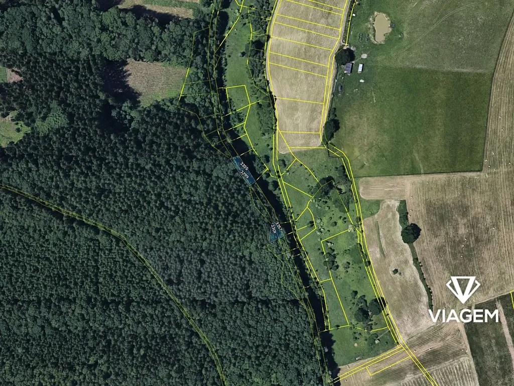
Nabízíme lesní pozemky v katastrálním území Komárov u Napajedel, okres Zlín, o celkové výměře 745 m².

  • parc. č. 3299, k. ú. Komárov u Napajedel, 120 m²
  • parc. č. 3301, k. ú. Komárov u Napajedel, 166 m²
  • parc. č. 3355, k. ú. Komárov u Napajedel, 318 m²
  • parc. č. 3357, k. ú. Komárov u Napajedel, 141 m²

Tato drobná výměra čtyř parcel je vhodná především pro zájemce o vlastní zdroj palivového dříví nebo pro dlouhodobé držení lesní půdy. V případě zájmu o detailní informace nebo výpis z katastru nemovitostí nás prosím kontaktujte.



Tento inzerát není závaznou nabídkou inzerenta, podmínky prodeje se mohou v jeho průběhu měnit.

Parametry pozemku

Cena
16 390 Kč /za nemovitost Spočítat hypotéku
Aktualizováno
30. 4. 2026
Adresa
Komárov
ID
20574
Plocha pozemku
745 m2

Kontaktovat makléře

Máte zájem o tento pozemek?

Tímto, v souladu s nařízením Evropského parlamentu a Rady (EU) 2016/679, v platném znění, prohlašuji, že mi je alespoň 16 let a uděluji tak svůj souhlas se zpracováním zadaných údajů (jméno, telefon, e-mail, ip adresa) společnosti B3 Technology, s.r.o., IČ: 07330600, se sídlem Novostavby 126/23, 435 11 Lom (správce dat), za účelem předání dotazu z tohoto formuláře Vámi vybranému inzerentovi a zpětného kontaktování mé osoby. Osobní údaje bude správce zpracovávat manuálně i automaticky přímo prostřednictvím svých zaměstnanců. Informace předané tímto formulářem budou uloženy v databázi správce maximálně po dobu 10 let. Odvolání souhlasu s uložením a zpracováním poskytnutých dat lze e-mailem na info@bydlisnami.cz. V případě podezření na neoprávněné použití Vámi poskytnutých údajů máte právo předat podnět k šetření Úřadu pro ochranu osobních údajů. Více informací
Chystáte se prodat nemovitost?
Pomůžeme Vám!

Inzerát si prohlédlo 0 lidí

Prodejce

Simona Tichá

Simona Tichá

Hlídací pes

Chcete dostávat emailem podobné nabídky prodeje lesů v Komárově (okr. Zlín)?

Podobné nemovitosti