Prodej pozemku pro bydlení, Hustopeče, 1289 m2 (ID: 2337628)

Hustopeče u Brna

4 990 000 Kč /za nemovitost HYPOTÉKA od 22 302 Kč /za měsíc

(Cena včetně provize a právního servisu.)

Doporučené firmy v Hustopečích

Informace k pozemku

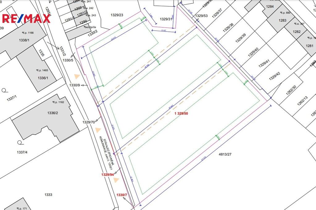
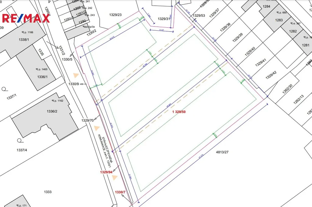
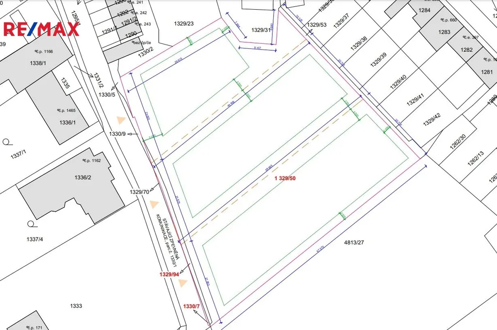
Poslední volný pozemek ze souboru stavebních pozemků v centru Hustopečí na ulici kpt. Jaroše.
Pozemek o rozloze 1289 m² s uliční šíří 22 m a možností výstavby samostatně stojícího domu či řadového dvojdomu. Pozemek se nachází přímo v Hustopečích, s inženýrskými sítěmi dostupnými na hranici pozemku. Dle územního plánu je možné zastavit až 40% plochy pro stavbu domu s dvěma nadzemními podlažími, podsklepením a obytným podkrovím.

Podrobné info:
- Aktuální je územní plán po změně č. 6 města Hustopeče – schválený k pořízení 27.04.2023 usnesením
ZM č. 7/V/23, nabytí účinnosti ke dni 11.07.2024 opatřením obecné povahy. Právě probíhá změna č.7
(schválení 19.12.2024 ZM č. 11/XVII/24) a 8 (schválení k pořízení 12.06.2025 uZM č. 7/XXII/25).
Předmětná parcela se ve znění po změně č. 6 nachází ve stabilizované ploše zastavěného území
s využitím BI plochy bydlení individuální.
- Dle ÚP a kap. 2.1. a 2.2. je hlavním využitím plochy bydlení individuální je bydlení v rodinných
domech. Přípustné jsou stavby pro bydlení v RD, stavby související, rodinné rekreace,
technická a dopravní infrastruktura a jiné. Podmíněně přípustné jsou služby a provozovny
slučitelné s bydlením. Nepřípustné jsou stavby pro skladování a výrobu neslučitelnou s
funkcí bydlení a další nesouvisející.
- Pozemek se nenachází v záplavovém území ani v aktivní zóně záplavových území ani v blízkosti
takových území vodních toků.
- Dle světových stran a vrstevnic je pozemek s mírným až středním severním až severovýchodním
sklonem okolo 7 stupňů. Nadmořská výška se pohybuje od cca 197 m. n. m. po cca 205,6 m. n. m.
Průměrné stoupání/klesání na 10 metrů je přibližně 1,2 metrů.
- Musí být dodržena výšková hladina okolní zástavby, max. podsklepené 2 NP vč. podkroví. Je
stanoven koef. zeleně 0,3 u řadových a 0,4 u samostatných RD.
- K dispozici rozbor pozemku a územně plánovací informace.

Uvedená výměra je orientační. Prodávající si vyhrazuje právo vybrat kupujícího na základě jím zvolených kritérií.

Parametry pozemku

Cena
4 990 000 Kč /za nemovitost Spočítat hypotéku
Poznámka k ceně
Cena včetně provize a právního servisu.
Aktualizováno
14. 4. 2026
Adresa
Hustopeče u Brna
ID
197-NP05012
Lokalita objektu
Klidná část obce
Plocha pozemku
1289 m2
Elektřina
230V
Odpad
Veřejná kanalizace
Komunikace
Asfaltová
Doprava
Vlak, Dálnice, Silnice, Autobus
Převod do OV

Kontaktovat makléře

Realitní kancelář

Logo RE/MAX Magnum

RE/MAX Magnum

Banskobystrická 819/52, Brno

Chystáte se prodat nemovitost?
Pomůžeme Vám!

Máte zájem o tento pozemek?

Tímto, v souladu s nařízením Evropského parlamentu a Rady (EU) 2016/679, v platném znění, prohlašuji, že mi je alespoň 16 let a uděluji tak svůj souhlas se zpracováním zadaných údajů (jméno, telefon, e-mail, ip adresa) společnosti B3 Technology, s.r.o., IČ: 07330600, se sídlem Novostavby 126/23, 435 11 Lom (správce dat), za účelem předání dotazu z tohoto formuláře Vámi vybranému inzerentovi a zpětného kontaktování mé osoby. Osobní údaje bude správce zpracovávat manuálně i automaticky přímo prostřednictvím svých zaměstnanců. Informace předané tímto formulářem budou uloženy v databázi správce maximálně po dobu 10 let. Odvolání souhlasu s uložením a zpracováním poskytnutých dat lze e-mailem na info@bydlisnami.cz. V případě podezření na neoprávněné použití Vámi poskytnutých údajů máte právo předat podnět k šetření Úřadu pro ochranu osobních údajů. Více informací
Chystáte se prodat nemovitost?
Pomůžeme Vám!

Inzerát si prohlédlo 20 lidí

Prodejce

Ing. Jan Sigmund

Ing. Jan Sigmund

Hlídací pes

Chcete dostávat emailem podobné nabídky prodeje pozemků pro bydlení v Hustopečích?

Podobné nemovitosti