Prodej pozemku pro bydlení, Skoronice, 2691 m2

Skoronice

4 890 000 Kč /za nemovitost HYPOTÉKA od 21 855 Kč /za měsíc
Doporučené firmy v Skoronicích

Informace k pozemku

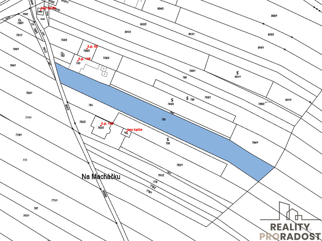
Nabízíme k prodeji pozemek určený k bydlení o celkové ploše 2691 m², nacházející se v části obce Skoronice, v okresu Hodonín. Tento pozemek se pyšní výhodnou polohou v klidné oblasti, která nabízí krásný výhled do okolní krajiny. Ideální pro ty, kdo hledají místo pro výstavbu rodinného domu v harmonii s přírodou. Šířka parcely je cca 14 m. Všechny IS jsou na hranici pozemku.

V obci Skoronice probíhá změna územního plánu, cca za 2 roky bude celá parcela v zastavěném území. Nyní je zastavitelná cca 1/2.

Pozemek je charakterizován svými hranicemi, které jsou všechny jasně vymezeny, což usnadňuje jeho případné rozdělení nebo další úpravy. Dostupnost pozemku je zajištěna silnicí, což znamená bezproblémové napojení na okolní komunikace a město Kyjov, které je v dojezdové vzdálenosti.

Tato lokalita se může pyšnit nejen malebným prostředím, ale také klidnou atmosférou, ideální pro rodinný život nebo rekreační objekt. Vzhledem k velikosti pozemku je zde dostatek prostoru pro realizaci vlastních představ a projektů, ať už se jedná o novostavbu rodinného domu, zahrady nebo jiných doplňkových staveb.

Koupě tohoto pozemku je skvělou příležitostí pro investici do nemovitosti s potenciálem. Nechte se okouzlit krásou tohoto místa a užijte si výhody bydlení v přírodě se snadným přístupem k občanské vybavenosti v blízkém okolí. Obec Skoronice sousedí s obcí Vlkoš, kde je veškerá občanská vybavenost.

V případě zájmu o prohlídku nás neváhejte kontaktovat.

Parametry pozemku

Cena
4 890 000 Kč /za nemovitost Spočítat hypotéku
Aktualizováno
15. 10. 2025
Adresa
Skoronice
ID
27863
Lokalita objektu
Klidná část obce
Plocha pozemku
2691 m2
Doprava
Silnice
Převod do OV

Kontaktovat makléře

Máte zájem o tento pozemek?

Tímto, v souladu s nařízením Evropského parlamentu a Rady (EU) 2016/679, v platném znění, prohlašuji, že mi je alespoň 16 let a uděluji tak svůj souhlas se zpracováním zadaných údajů (jméno, telefon, e-mail, ip adresa) společnosti B3 Technology, s.r.o., IČ: 07330600, se sídlem Novostavby 126/23, 435 11 Lom (správce dat), za účelem předání dotazu z tohoto formuláře Vámi vybranému inzerentovi a zpětného kontaktování mé osoby. Osobní údaje bude správce zpracovávat manuálně i automaticky přímo prostřednictvím svých zaměstnanců. Informace předané tímto formulářem budou uloženy v databázi správce maximálně po dobu 10 let. Odvolání souhlasu s uložením a zpracováním poskytnutých dat lze e-mailem na info@bydlisnami.cz. V případě podezření na neoprávněné použití Vámi poskytnutých údajů máte právo předat podnět k šetření Úřadu pro ochranu osobních údajů. Více informací
Chystáte se prodat nemovitost?
Pomůžeme Vám!

Inzerát si prohlédlo 14 lidí

Prodejce

Blanka Šubrtová

Blanka Šubrtová

Hlídací pes

Chcete dostávat emailem podobné nabídky prodeje pozemků pro bydlení v Skoronicích?

Top nabídky

Podobné nemovitosti