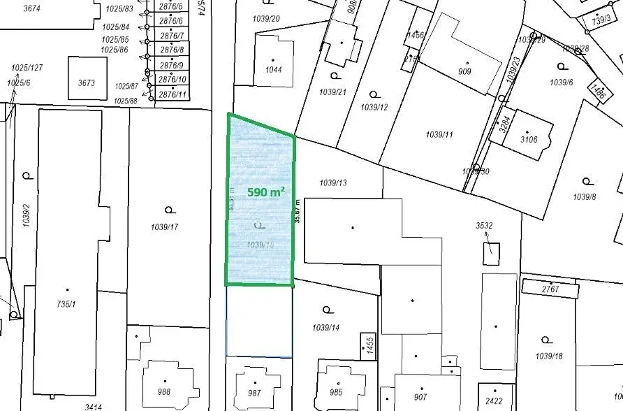
Prodej pozemku pro bydlení, Stříbro, Tř. 5. května, 590 m2

Tř. 5. května, Stříbro

2 350 000 Kč /za nemovitost HYPOTÉKA od 10 503 Kč /za měsíc
Doporučené firmy v Stříbře

Podlahy

Stěhovací služby

Informace k pozemku

Nabízíme k prodeji atraktivní rovinatý stavební pozemek o výměře přibližně 590 m v klidné části města Stříbro, v lokalitě Tř. 5. května. Pozemek bude oddělen z parcely p. č. 1039/15 v katastrálním území Stříbro a je připraven k okamžité výstavbě rodinného domu.

Pozemek se nachází v plně zasíťované lokalitě, kde jsou všechny inženýrské sítě v blízkosti. K dispozici je napojení na elektřinu, vodovod, kanalizaci i plyn, což výrazně usnadní a zlevní budoucí výstavbu.

Pozemek je rovinatý, což je ideální pro stavbu rodinného domu bez nutnosti nákladných terénních úprav. Lokalita nabízí klidné bydlení v příjemném prostředí s kompletní občanskou vybaveností. V dosahu jsou mateřské a základní školy, zdravotní střediska, obchody, restaurace i sportovní zařízení a zázemí. Stříbro je město s výbornou dostupností do Plzně, která je vzdálená přibližně 30 minut a stejně tak i na Rozvadov.

Na pozemku nejsou evidována žádná břemena ani zástavní práva, což zajišťuje bezproblémový převod vlastnictví. Pozemek je veden v katastru nemovitostí jako zemědělský půdní fond, přičemž je připraven k vyjmutí pro účely výstavby rodinného domu.

Tato nabídka je ideální pro rodiny, které hledají pozemek pro stavbu vlastního bydlení v atraktivní lokalitě s dostupnou infrastrukturou, nebo pro investory zajímající se o perspektivní nemovitost v rozvojové oblasti.

Technické informace:
Parcela bude oddělena z p. č. 1039/15 (zahrada)
Katastrální území: Stříbro, LV č. 165
Inženýrské sítě: elektřina, vodovod, kanalizace, plyn v dosahu
Příjezd: zajištěn ze zadní části pozemku

Rádi vám poskytneme další informace, zajistíme prohlídku pozemku a pomůžeme s vyřízením všech formalit spojených s koupí. Kontaktujte nás ještě dnes.

Parametry pozemku

Cena
2 350 000 Kč /za nemovitost Spočítat hypotéku
Aktualizováno
23. 12. 2025
Adresa
Tř. 5. května, Stříbro
ID
73
Plocha pozemku
590 m2
Doprava
Vlak, Dálnice, Silnice, Autobus

Kontaktovat makléře

Máte zájem o tento pozemek?

Tímto, v souladu s nařízením Evropského parlamentu a Rady (EU) 2016/679, v platném znění, prohlašuji, že mi je alespoň 16 let a uděluji tak svůj souhlas se zpracováním zadaných údajů (jméno, telefon, e-mail, ip adresa) společnosti B3 Technology, s.r.o., IČ: 07330600, se sídlem Novostavby 126/23, 435 11 Lom (správce dat), za účelem předání dotazu z tohoto formuláře Vámi vybranému inzerentovi a zpětného kontaktování mé osoby. Osobní údaje bude správce zpracovávat manuálně i automaticky přímo prostřednictvím svých zaměstnanců. Informace předané tímto formulářem budou uloženy v databázi správce maximálně po dobu 10 let. Odvolání souhlasu s uložením a zpracováním poskytnutých dat lze e-mailem na info@bydlisnami.cz. V případě podezření na neoprávněné použití Vámi poskytnutých údajů máte právo předat podnět k šetření Úřadu pro ochranu osobních údajů. Více informací
Chystáte se prodat nemovitost?
Pomůžeme Vám!

Inzerát si prohlédlo 0 lidí

Prodejce

Pavel  Cink

Pavel Cink

Hlídací pes

Chcete dostávat emailem podobné nabídky prodeje pozemků pro bydlení v Stříbře?

Podobné nemovitosti