Prodej pozemku pro bydlení, Jindřichovice, 1204 m2

Jindřichovice

599 000 Kč /za nemovitost HYPOTÉKA od 2 677 Kč /za měsíc
Doporučené firmy v Jindřichovicích

Informace k pozemku

Prodej pozemku k bydlení, 1204 m², Jindřichovice

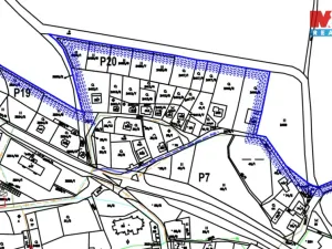
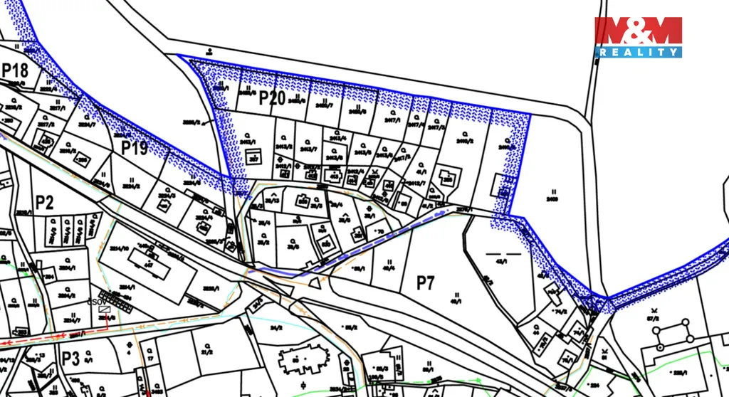
Nabízíme ke koupi pozemek o výměře 1204 m² v severní okrajové části obce Jindřichovice na Sokolovsku. Dle územního plánu je pozemek určen pro bydlení venkovské, tedy výstavbu rodinného domu. Nachází se v lokalitě s několika podobnými pozemky a nabízí krásné výhledy do okolní krajiny – na pole, louky a lesy.

Podél pozemku vede polní cesta a zároveň elektrické vedení, které má ochranné pásmo. V současné době proto není možné vybudovat oficiální přístupovou obecní komunikaci. Dle informací z obce zatím nejsou finanční prostředky na přeložku elektrického vedení, která by do budoucna mohla otevřít možnost dalšího rozvoje této lokality.

Voda a kanalizace jsou přivedeny k prvnímu domu v řadě a v případě budoucí výstavby komunikace by bylo možné sítě dále prodloužit.

Jedná se o hezký pozemek na klidném místě s výhledem do přírody a zároveň o zajímavou investiční příležitost, protože stavebních pozemků je na trhu dlouhodobě nedostatek a jejich ceny stále rostou.

Parametry pozemku

Cena
599 000 Kč /za nemovitost Spočítat hypotéku
Aktualizováno
29. 4. 2026
Adresa
Jindřichovice
ID
934776
Stav objektu
Dobrý
Vybaveno
Ne
Lokalita objektu
Klidná část obce
Vlastnictví
Osobní
Plocha pozemku
1204 m2

Kontaktovat makléře

Realitní kancelář

Logo M&M reality

M&M reality

ulice Krakovská 583/9, Praha

Chystáte se prodat nemovitost?
Pomůžeme Vám!

Máte zájem o tento pozemek?

Tímto, v souladu s nařízením Evropského parlamentu a Rady (EU) 2016/679, v platném znění, prohlašuji, že mi je alespoň 16 let a uděluji tak svůj souhlas se zpracováním zadaných údajů (jméno, telefon, e-mail, ip adresa) společnosti B3 Technology, s.r.o., IČ: 07330600, se sídlem Novostavby 126/23, 435 11 Lom (správce dat), za účelem předání dotazu z tohoto formuláře Vámi vybranému inzerentovi a zpětného kontaktování mé osoby. Osobní údaje bude správce zpracovávat manuálně i automaticky přímo prostřednictvím svých zaměstnanců. Informace předané tímto formulářem budou uloženy v databázi správce maximálně po dobu 10 let. Odvolání souhlasu s uložením a zpracováním poskytnutých dat lze e-mailem na info@bydlisnami.cz. V případě podezření na neoprávněné použití Vámi poskytnutých údajů máte právo předat podnět k šetření Úřadu pro ochranu osobních údajů. Více informací
Chystáte se prodat nemovitost?
Pomůžeme Vám!

Inzerát si prohlédlo 2 lidí

Prodejce

Boris Musil

Boris Musil

Hlídací pes

Chcete dostávat emailem podobné nabídky prodeje pozemků pro bydlení v Jindřichovicích (okr. Sokolov)?

Podobné nemovitosti