Prodej pozemku pro bydlení, Ústí nad Orlicí, 340 m2

Ústí nad Orlicí

330 000 Kč /za nemovitost HYPOTÉKA od 1 475 Kč /za měsíc

(včetně provize. právního servisu)

Doporučené firmy v Ústí nad Orlicí

Informace k pozemku

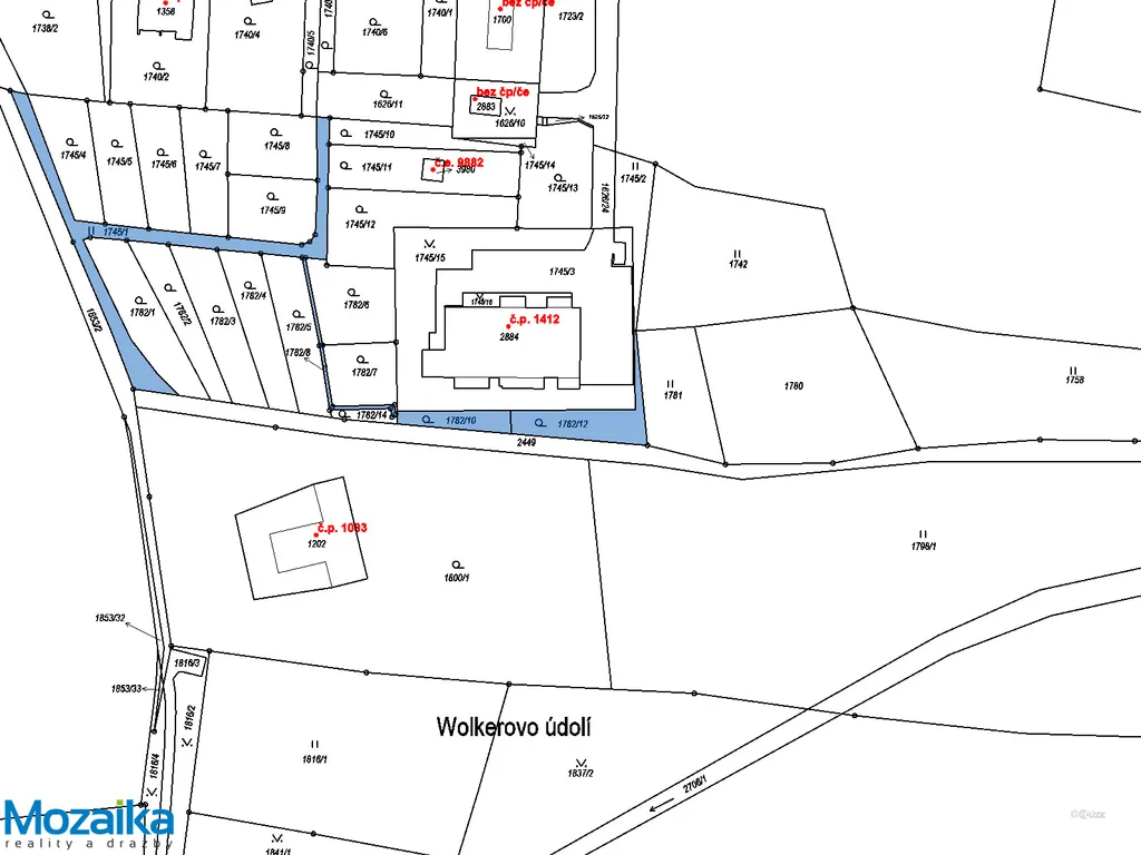
Hledáte cenově dostupný pozemek v atraktivní obytné lokalitě, který nabízí zajímavý potenciál pro různé způsoby využití? Pak právě tato nabídka může být tím, co jste hledali. Nabízíme k prodeji pozemek skládající se ze dvou parcel č. 1782/10 a č. 1782/12 v katastrálním území Ústí nad Orlicí o celkové výměře 340 m², včetně spoluvlastnického podílu ve výši 1/19 na přístupové komunikaci p.č. 1782/8 s výměrou 40m2 a p.č.1745/1 s výměrou 504m2, a to vše za velmi výhodnou cenu 330 000 Kč.
Pozemek se nachází v klidné a vyhledávané části města na ulici Jana a Josefa Kovářů, v přímém sousedství bytového domu a okolní zástavby rodinných domů. Jde tedy o lokalitu, která je plně zapojena do městského organismu – máte v dosahu veškerou občanskou vybavenost, dobré dopravní spojení i příjemné sousedské prostředí. Samotný pozemek je rovinatý, v současné době slouží jako zahrada a na jeho okraji při vjezdu se nachází část stavby kolny souseda.
Než přistoupíte k rozhodování, je důležité být plně informován o podmínkách využití tohoto pozemku. Dle územního plánu obce jsou parcely zařazeny do plochy BI – bydlení individuální. Je však třeba otevřeně říci, že výměra 340 m² nesplňuje podmínku minimální velikosti pozemku, která je stanovena na 600 m² pro samostatný rodinný dům a 500 m² pro dvojdům. Výstavba klasického rodinného domu zde tedy není možná. To je skutečnost, kterou při svém rozhodování musíte zohlednit – a právě proto je pozemek nabízen za mimořádně příznivou cenu, která tuto situaci plně reflektuje.
To ale rozhodně neznamená, že by pozemek byl bez zajímavého využití – právě naopak. V rámci přípustného využití lze na pozemku například zřídit dětské hřiště, sportoviště nebo vybudovat stavby přímo související s bydlením, jako jsou drobné zahradní stavby, pergoly, přístřešky či jiné doplňkové objekty. Pozemek tak může být ideálním řešením pro majitele sousedních nemovitostí, kteří hledají rozšíření své zahrady nebo potřebují zázemí pro své volnočasové aktivity. Současně územní plán nabízí i tzv. podmínečně přípustné využití, které otevírá další možnosti – podrobnosti najdete v přiložené dokumentaci, kterou vám rádi poskytneme.
Umístění v zastavěné obytné zóně s dobrou dostupností a plnou infrastrukturou v okolí dělá z tohoto pozemku zajímavou a cenově dostupnou příležitost, jaká se na trhu objevuje jen zřídka. Ať už uvažujete o rozšíření přilehlé nemovitosti, vytvoření soukromého zázemí pro rodinu, nebo máte jiné kreativní plány, tento pozemek vám poskytne základ, na kterém lze stavět. Cena 330 000 Kč představuje velmi rozumnou investici do nemovitosti v atraktivní lokalitě, jejíž hodnota v čase zpravidla roste.
Neváhejte nás kontaktovat pro více informací, zaslání přiložené dokumentace nebo domluvení osobní prohlídky. Rádi vám zodpovíme veškeré dotazy a pomůžeme vám zorientovat se ve všech možnostech, které tento pozemek nabízí.

Parametry pozemku

Cena
330 000 Kč /za nemovitost Spočítat hypotéku
Poznámka k ceně
včetně provize. právního servisu
Aktualizováno
27. 4. 2026
Adresa
Ústí nad Orlicí
ID
2240
Lokalita objektu
Klidná část obce
Plocha pozemku
340 m2
Doprava
Vlak, Silnice, Autobus
Voda
Vodovod
Převod do OV

Kontaktovat makléře

Máte zájem o tento pozemek?

Tímto, v souladu s nařízením Evropského parlamentu a Rady (EU) 2016/679, v platném znění, prohlašuji, že mi je alespoň 16 let a uděluji tak svůj souhlas se zpracováním zadaných údajů (jméno, telefon, e-mail, ip adresa) společnosti B3 Technology, s.r.o., IČ: 07330600, se sídlem Novostavby 126/23, 435 11 Lom (správce dat), za účelem předání dotazu z tohoto formuláře Vámi vybranému inzerentovi a zpětného kontaktování mé osoby. Osobní údaje bude správce zpracovávat manuálně i automaticky přímo prostřednictvím svých zaměstnanců. Informace předané tímto formulářem budou uloženy v databázi správce maximálně po dobu 10 let. Odvolání souhlasu s uložením a zpracováním poskytnutých dat lze e-mailem na info@bydlisnami.cz. V případě podezření na neoprávněné použití Vámi poskytnutých údajů máte právo předat podnět k šetření Úřadu pro ochranu osobních údajů. Více informací
Chystáte se prodat nemovitost?
Pomůžeme Vám!

Inzerát si prohlédlo 1 lidí

Prodejce

Dana Beranová

Dana Beranová

Hlídací pes

Chcete dostávat emailem podobné nabídky prodeje pozemků pro bydlení v Ústí nad Orlicí?

Podobné nemovitosti